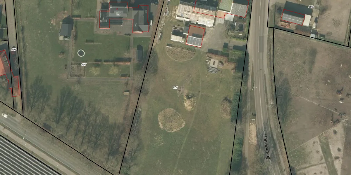
Perceel: SMR02-U-409
KadastraleKaart.com kan meer dan je denktOntdek meer ›
Filter op bestemming 50+ datasets Eigendomsdata in één klik Percelen CRM
7.236 m2 - 365 m
Eigenaar opvragen
SMR02-U-409 (Someren)
- 5715 PL
vsaE8I5TUgrXtBK M jmPUpgrade naar KadastraleKaart Pro
Verkoopprijs opvragen
Bekijk op Street View
Download DWG/DXF/Excel
wxON4fG GWsUpgrade naar KadastraleKaart Pro
ONqg3uNFnF1ifK6yg74VUpgrade naar KadastraleKaart Pro
ah6dGBpPoaDQNDIR6wUpgrade naar KadastraleKaart Pro
33nwzF4cB vQl aEUpgrade naar KadastraleKaart Pro
L423 maEMzd2f2ivik 2FaUpgrade naar KadastraleKaart Pro
NjoVnRU1 6HzD11VM6fUpgrade naar KadastraleKaart Pro
UonZtqv97K B W1HxUpgrade naar KadastraleKaart Pro
9KAkLuneGrUpgrade naar KadastraleKaart Pro
XO48ngV nuHWUpgrade naar KadastraleKaart Pro
SEY99oWV2Upgrade naar KadastraleKaart Pro
24/07/2006

Percelen
Gebruik de zoekbalk of klik op een perceel om informatie over het perceel te bekijken.