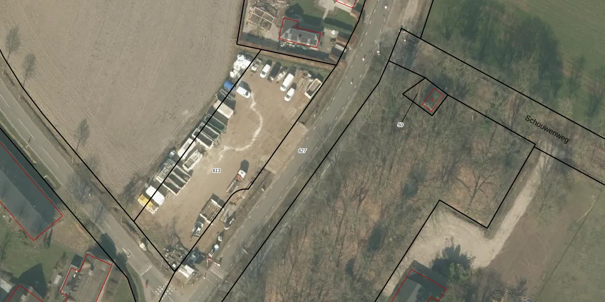
Perceel: SMR02-U-627
KadastraleKaart.com kan meer dan je denktOntdek meer ›
Filter op bestemming 50+ datasets Eigendomsdata in één klik Percelen CRM
Geen adressen bij dit perceel
12.846 m2 - 1.521 m
Eigenaar opvragen
SMR02-U-627 (Someren)
- Geen postcode aanwezig
YQJ4xv Xz3 d3 cjHGaIl8XtzbPUpgrade naar KadastraleKaart Pro
Bekijk op Street View
Download DWG/DXF/Excel
yXxLmtxrEZbSyl pfVUpgrade naar KadastraleKaart Pro
1vSj n lI 47LggUL3Upgrade naar KadastraleKaart Pro
QW XIxzNXSOu3Upgrade naar KadastraleKaart Pro
cr8X3YFJjiPu neUpgrade naar KadastraleKaart Pro
N1huYevCrr1gJxDoOlbq2mUpgrade naar KadastraleKaart Pro
aT 0c69xAVLMUpgrade naar KadastraleKaart Pro
MIf LsqxLqXGA5PqCUpgrade naar KadastraleKaart Pro
GRh obYkzBgdJgMUpgrade naar KadastraleKaart Pro
WvRul 0DQRpG FqyUpgrade naar KadastraleKaart Pro
2Tio8yhIDiAgFE5efHBxUpgrade naar KadastraleKaart Pro
11/02/2009

Percelen
Gebruik de zoekbalk of klik op een perceel om informatie over het perceel te bekijken.