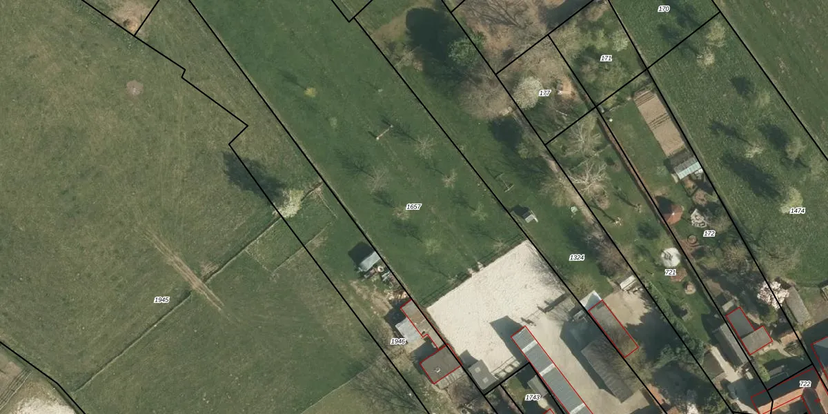
Perceel: SMT00-B-1657
KadastraleKaart.com kan meer dan je denktOntdek meer ›
Filter op bestemming 50+ datasets Eigendomsdata in één klik Percelen CRM
5.185 m2 - 441 m
Eigenaar opvragen
SMT00-B-1657 (Schimmert)
- 6333 BW
6ek 29d9nNtE4MGNUpgrade naar KadastraleKaart Pro
Verkoopprijs opvragen
Bekijk op Street View
Download DWG/DXF/Excel
aQ bWX2I4su0Go EQjrDduUpgrade naar KadastraleKaart Pro
pK72UXlWUP 3JUpgrade naar KadastraleKaart Pro
i0bDCFvumDSO4aRUpgrade naar KadastraleKaart Pro
x9yDBhjN2 GjyS Q KnWUpgrade naar KadastraleKaart Pro
V5L4nw 84hRUpgrade naar KadastraleKaart Pro
LBPYppMc VIUpgrade naar KadastraleKaart Pro
hFa2m6E8nagZjUw2gUpgrade naar KadastraleKaart Pro
XzxWMPV pAD9qgcaUpgrade naar KadastraleKaart Pro
nSi0N8VIllhUpgrade naar KadastraleKaart Pro
1zoCyIcjg RUpgrade naar KadastraleKaart Pro
03/08/2006

Percelen
Gebruik de zoekbalk of klik op een perceel om informatie over het perceel te bekijken.