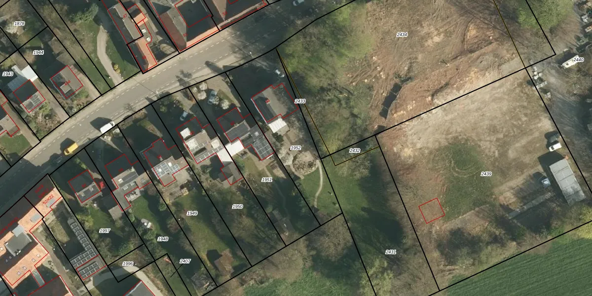
Perceel: SMT00-B-1952
KadastraleKaart.com kan meer dan je denktOntdek meer ›
Filter op bestemming 50+ datasets Eigendomsdata in één klik Percelen CRM
825 m2 - 149 m
Eigenaar opvragen
SMT00-B-1952 (Schimmert)
- 6333 BZ
lo0WTwydlyRn9l5QACUug4nVesUpgrade naar KadastraleKaart Pro
Bekijk op Street View
Download DWG/DXF/Excel
fnv e1YbTedKBc2OhEHUpgrade naar KadastraleKaart Pro
GmLbQA03Upgrade naar KadastraleKaart Pro
Zi8bua1jNCUpgrade naar KadastraleKaart Pro
4PbPv xD7UXlUpgrade naar KadastraleKaart Pro
Ddnf1WwfiEkDZBeUpgrade naar KadastraleKaart Pro
WzzTNJ9mB0kReCBsUpgrade naar KadastraleKaart Pro
GIepj 7faUpgrade naar KadastraleKaart Pro
9rPDCp WhiQNx1kzeDUpgrade naar KadastraleKaart Pro
EU19W885XUpgrade naar KadastraleKaart Pro
3kBJ3l8102 xxoNkmDrEUpgrade naar KadastraleKaart Pro
20/05/2003

Percelen
Gebruik de zoekbalk of klik op een perceel om informatie over het perceel te bekijken.