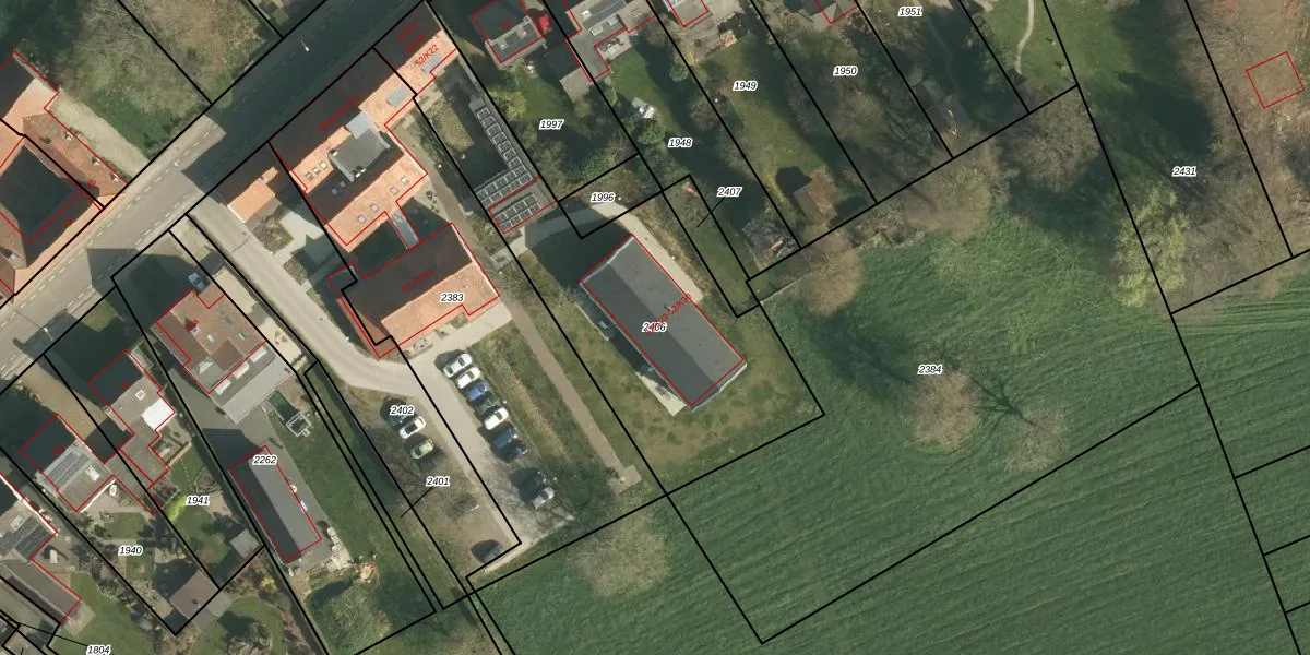
Perceel: SMT00-B-2406
KadastraleKaart.com kan meer dan je denktOntdek meer ›
Filter op bestemming 50+ datasets Eigendomsdata in één klik Percelen CRM
1.457 m2 - 225 m
Eigenaar opvragen
SMT00-B-2406 (Schimmert)
- 6333 BZ
G R9V6pw5gaavkBLPxBUhzmcJUpgrade naar KadastraleKaart Pro
Bekijk op Street View
Download DWG/DXF/Excel
3mJGs LFvGv9SXf uUpgrade naar KadastraleKaart Pro
IWTbKMukUpgrade naar KadastraleKaart Pro
ALivwkbHpVn1Wv Upgrade naar KadastraleKaart Pro
NG ZroFPPtn2Upgrade naar KadastraleKaart Pro
ctcTHCqwNcLhFUpgrade naar KadastraleKaart Pro
FZCuEUoBGn 74 R41fsU8Upgrade naar KadastraleKaart Pro
1Edu U 8cRcI 2Upgrade naar KadastraleKaart Pro
IbysUJ4axT dRjUpgrade naar KadastraleKaart Pro
NhLX5vpymapHUpgrade naar KadastraleKaart Pro
ArVlPfzqSTG pJBAUpgrade naar KadastraleKaart Pro
23/12/2022

Percelen
Gebruik de zoekbalk of klik op een perceel om informatie over het perceel te bekijken.