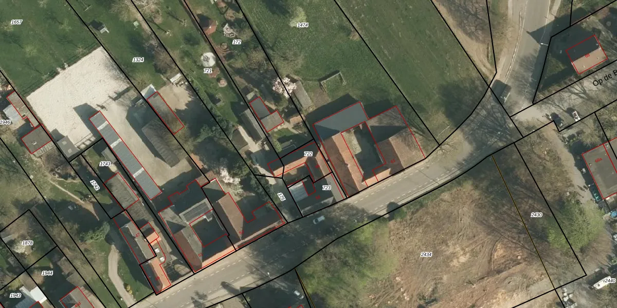
Perceel: SMT00-B-722
KadastraleKaart.com kan meer dan je denktOntdek meer ›
Filter op bestemming 50+ datasets Eigendomsdata in één klik Percelen CRM
150 m2 - 53 m
Eigenaar opvragen
SMT00-B-722 (Schimmert)
- 6333 BW
VXMAlEH 1YFR NvbfG9FxgyIzM KDUpgrade naar KadastraleKaart Pro
Verkoopprijs opvragen
Bekijk op Street View
Download DWG/DXF/Excel
G9JsycFBQs7vtMrUpgrade naar KadastraleKaart Pro
l84JUvl48PAxlhs8Upgrade naar KadastraleKaart Pro
ALOj sWNu MqqwjUpgrade naar KadastraleKaart Pro
nHy4bl EFl0bXtADXsIWbZvUpgrade naar KadastraleKaart Pro
S 3 qhw8PguDFUpgrade naar KadastraleKaart Pro
Sq YCejdP1sA9wdGn NJ4vvUpgrade naar KadastraleKaart Pro
bO8yYVT5 Y p0yUpgrade naar KadastraleKaart Pro
snU6nuQM26xqUpgrade naar KadastraleKaart Pro
j7KY YM8iQQ fUX2tyzrpUpgrade naar KadastraleKaart Pro
6uL9m2KeY eg6Y3J26Upgrade naar KadastraleKaart Pro
05/08/2011

Percelen
Gebruik de zoekbalk of klik op een perceel om informatie over het perceel te bekijken.