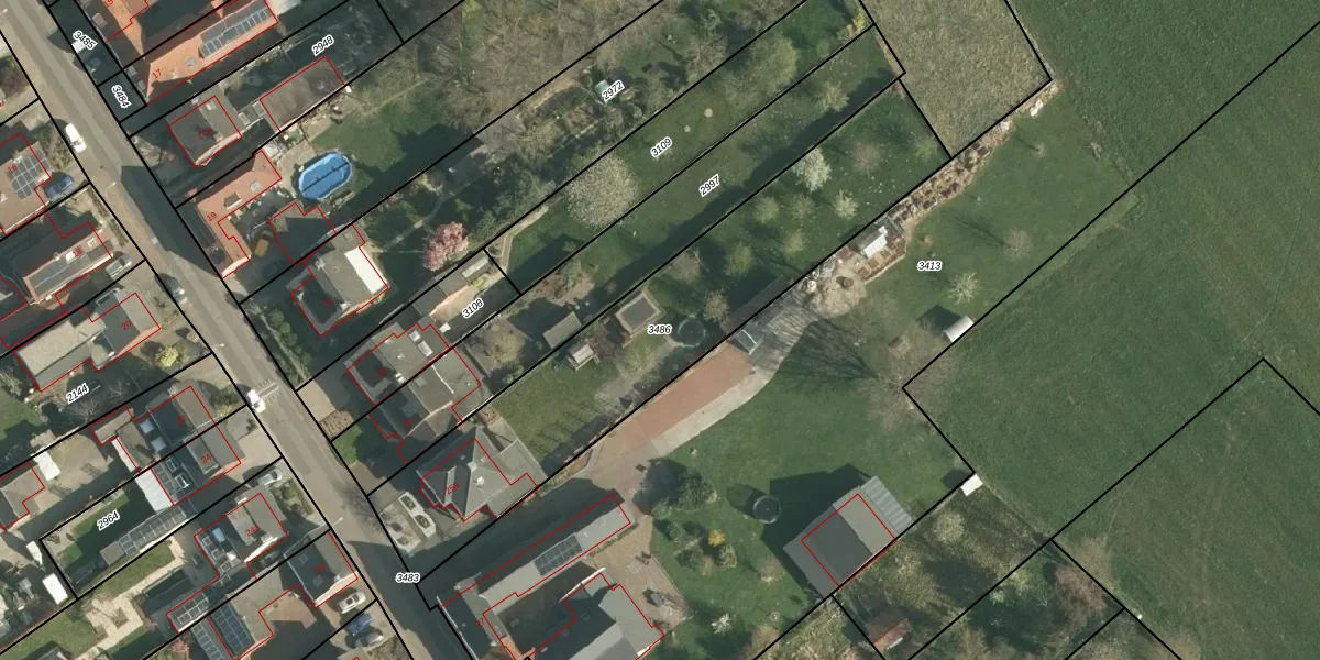
Perceel: SMT00-D-3486
KadastraleKaart.com kan meer dan je denktOntdek meer ›
Filter op bestemming 50+ datasets Eigendomsdata in één klik Percelen CRM
1.510 m2 - 236 m
Eigenaar opvragen
SMT00-D-3486 (Schimmert)
- 6333 AN
FFtMQ iahpsj82AzWsepODXIMAUpgrade naar KadastraleKaart Pro
Verkoopprijs opvragen
Bekijk op Street View
Download DWG/DXF/Excel
6P x2bFKa qp9fF0K7gjp3sUpgrade naar KadastraleKaart Pro
Q4nTvVQYOHovQpYj9Upgrade naar KadastraleKaart Pro
kROLiKYxn gTUpgrade naar KadastraleKaart Pro
yPQtzp M vjC5sjx2bp75Upgrade naar KadastraleKaart Pro
r juso3IZPo0fUpgrade naar KadastraleKaart Pro
2Qi1udYwMkMgj5mS aXiUpgrade naar KadastraleKaart Pro
161KI89ujBjTkumXsRSfUJUpgrade naar KadastraleKaart Pro
MG6ji mA9sXUpgrade naar KadastraleKaart Pro
oFuxJI Ixv7BBogBUpgrade naar KadastraleKaart Pro
DomPsqSuQTXEk1Upgrade naar KadastraleKaart Pro
08/01/2018

Percelen
Gebruik de zoekbalk of klik op een perceel om informatie over het perceel te bekijken.