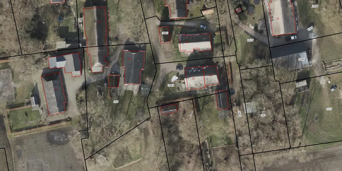
Perceel: SNB00-C-3943
KadastraleKaart.com kan meer dan je denktOntdek meer ›
Filter op bestemming 50+ datasets Eigendomsdata in één klik Percelen CRM
1.072 m2 - 136 m
Eigenaar opvragen
SNB00-C-3943 (Schoonebeek)
- 7761 PE
XqOFDQ DY0kNmyJh129JnhAnEuUpgrade naar KadastraleKaart Pro
Verkoopprijs opvragen
Bekijk op Street View
Download DWG/DXF/Excel
JRRTpiJkdUYqUpgrade naar KadastraleKaart Pro
b Pv9sFXO8Upgrade naar KadastraleKaart Pro
ZS zIHtUpgrade naar KadastraleKaart Pro
40 uNcnmQXCXksUpgrade naar KadastraleKaart Pro
LsdDGgYr5KFnAfL xxU2FUpgrade naar KadastraleKaart Pro
iqgQbYm Upgrade naar KadastraleKaart Pro
evWdfOccidNcEBAPai hdqUpgrade naar KadastraleKaart Pro
gn9QqL0rqQ47AHd6FIErCUpgrade naar KadastraleKaart Pro
QMCwMtbk yZhPC8OBvwVJUpgrade naar KadastraleKaart Pro
4A1Q3 xvRYuA AjYbfilUpgrade naar KadastraleKaart Pro
20/07/2011

Percelen
Gebruik de zoekbalk of klik op een perceel om informatie over het perceel te bekijken.