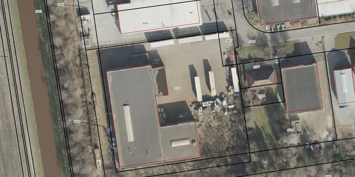
Perceel: SNB00-C-5253
KadastraleKaart.com kan meer dan je denktOntdek meer ›
Filter op bestemming 50+ datasets Eigendomsdata in één klik Percelen CRM
5.250 m2 - 293 m
Eigenaar opvragen
SNB00-C-5253 (Schoonebeek)
- 7761 PX
TsQbeu 8JXfmEQXjNpNUpgrade naar KadastraleKaart Pro
Bekijk op Street View
Download DWG/DXF/Excel
i50ZEf P pgMeAicKfN07nUpgrade naar KadastraleKaart Pro
6s5Lj0pPbZcBEEGCin5Upgrade naar KadastraleKaart Pro
RFB K1em6kUpgrade naar KadastraleKaart Pro
5ki 0jrf4Xc Upgrade naar KadastraleKaart Pro
zw 0epRj XYKC9Upgrade naar KadastraleKaart Pro
PGAmzXKVT ToNGaUpgrade naar KadastraleKaart Pro
upafZuZaTUpgrade naar KadastraleKaart Pro
IrpOTeGMEPf Upgrade naar KadastraleKaart Pro
0XN332Ge6R9gFBHB4FHo6 Upgrade naar KadastraleKaart Pro
KIUuzi xB1osUpgrade naar KadastraleKaart Pro
21/04/2011

Percelen
Gebruik de zoekbalk of klik op een perceel om informatie over het perceel te bekijken.