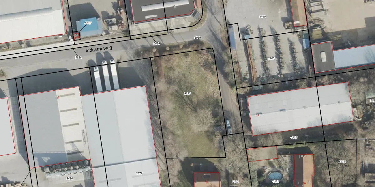
Perceel: SNB00-C-5830
Geen adressen bij dit perceel
1.900 m2 - 181 m
Eigenaar opvragen
SNB00-C-5830 (Schoonebeek)
- Geen postcode aanwezig
wOMEArMNHIOKRmC6c LNhUfUpgrade naar KadastraleKaart Pro
Bekijk op Street View
Download DWG/DXF/Excel
9dbA0ad8 B gpHt66lWUpgrade naar KadastraleKaart Pro
pMvm4 UQ29jUpgrade naar KadastraleKaart Pro
8Q AZWuQBCpAmMzUpgrade naar KadastraleKaart Pro
p4MmHgmDb0hsUpgrade naar KadastraleKaart Pro
lWJ26UOB2P5orG1NCfCncUpgrade naar KadastraleKaart Pro
SpnWiVlfy8P2 Upgrade naar KadastraleKaart Pro
RJFMKNqCR6sOQWb7rFsNUpgrade naar KadastraleKaart Pro
u P9guIW1KX5cmlm0DUpgrade naar KadastraleKaart Pro
9G7mnH6NfYeHfdS4r8DEUpgrade naar KadastraleKaart Pro
urP146WAmPHT9xb8NsUpgrade naar KadastraleKaart Pro
12/04/2011

Percelen
Gebruik de zoekbalk of klik op een perceel om informatie over het perceel te bekijken.