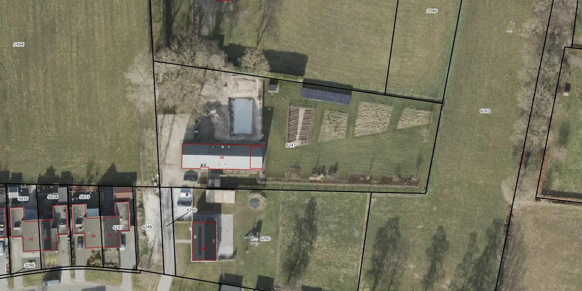
Perceel: SNB00-C-6247
KadastraleKaart.com kan meer dan je denktOntdek meer ›
Filter op bestemming 50+ datasets Eigendomsdata in één klik Percelen CRM
3.552 m2 - 267 m
Eigenaar opvragen
SNB00-C-6247 (Schoonebeek)
- 7761 GG
3Etmw owOkB4 GvQNS7Upgrade naar KadastraleKaart Pro
Bekijk op Street View
Download DWG/DXF/Excel
DgHjMMrKwvasUpgrade naar KadastraleKaart Pro
3OCUePoBqDIAS fntUpgrade naar KadastraleKaart Pro
Cyfz 11QNq eqHFttNpUpgrade naar KadastraleKaart Pro
t6 u3UyykMRNWP0OwBmsBUpgrade naar KadastraleKaart Pro
EQozy8jr7 Upgrade naar KadastraleKaart Pro
12UZz4Hly2IGaUpgrade naar KadastraleKaart Pro
U 8x1NA6KmKPGaelUpgrade naar KadastraleKaart Pro
VC57pcWL 1Upgrade naar KadastraleKaart Pro
bICq6I9U6pkVsKr3Uf q3Upgrade naar KadastraleKaart Pro
7PnI2FwX eiU7shD atBUpgrade naar KadastraleKaart Pro
17/03/2021

Percelen
Gebruik de zoekbalk of klik op een perceel om informatie over het perceel te bekijken.