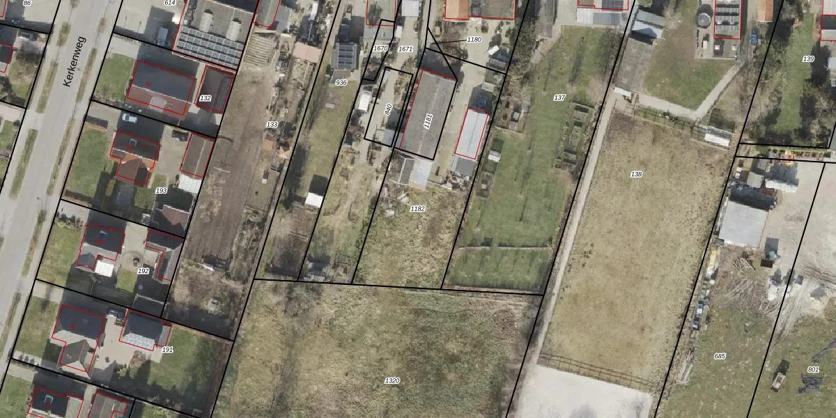
Perceel: SNB00-F-1182
KadastraleKaart.com kan meer dan je denktOntdek meer ›
Filter op bestemming 50+ datasets Eigendomsdata in één klik Percelen CRM
Geen adressen bij dit perceel
937 m2 - 163 m
Eigenaar opvragen
SNB00-F-1182 (Schoonebeek)
- Geen postcode aanwezig
s9fvo z68FygSQT9jUpgrade naar KadastraleKaart Pro
Bekijk op Street View
Download DWG/DXF/Excel
sEygm KRZlqBCnoj9LUpgrade naar KadastraleKaart Pro
7mkTPMTARUpgrade naar KadastraleKaart Pro
c5WwYWbm oTnULH6c8c uUpgrade naar KadastraleKaart Pro
4QP2ViirovG j aKUpgrade naar KadastraleKaart Pro
jyn573V XQTgVpUpgrade naar KadastraleKaart Pro
M3paUZnSigVG6c1m0PW7BgUpgrade naar KadastraleKaart Pro
dxE 88v jq8T 4sKxbZnkUpgrade naar KadastraleKaart Pro
jYGfbisqLLzP1pW4j4XNm6Upgrade naar KadastraleKaart Pro
nH DYEeElSsF F0NzEoou SUpgrade naar KadastraleKaart Pro
QhEDUYktmQUpgrade naar KadastraleKaart Pro
17/12/1999

Percelen
Gebruik de zoekbalk of klik op een perceel om informatie over het perceel te bekijken.