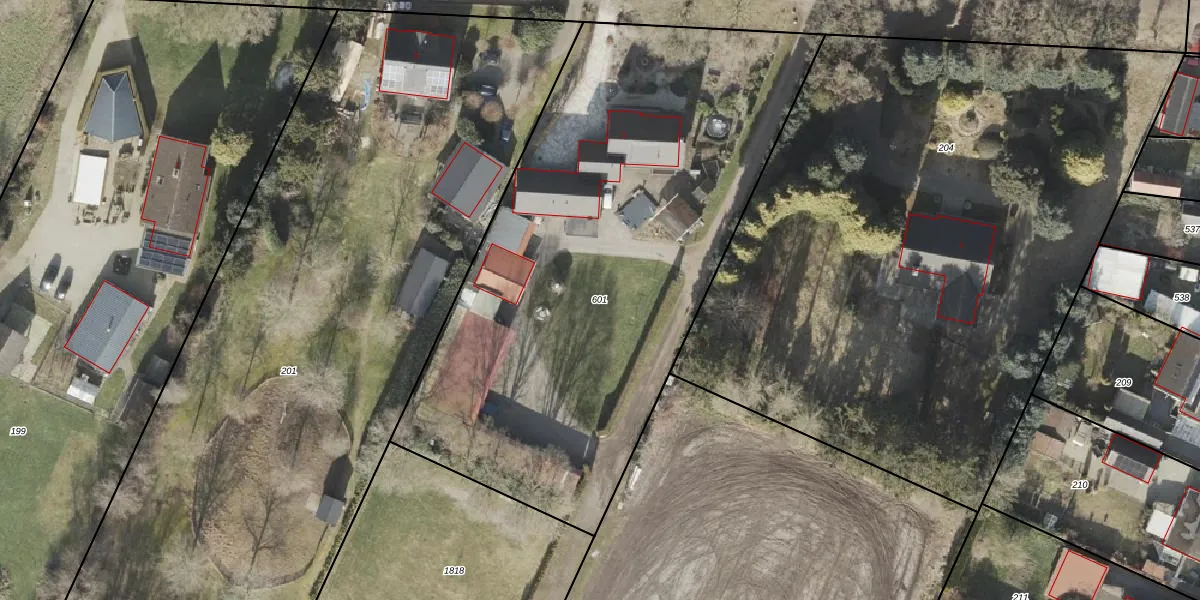
Perceel: SNB00-F-601
KadastraleKaart.com kan meer dan je denktOntdek meer ›
Filter op bestemming 50+ datasets Eigendomsdata in één klik Percelen CRM
3.175 m2 - 247 m
Eigenaar opvragen
SNB00-F-601 (Schoonebeek)
- 7765 AE
dhRanCiy 1zQh7P6Upgrade naar KadastraleKaart Pro
Bekijk op Street View
Download DWG/DXF/Excel
QjHr1Yk9ZAUpgrade naar KadastraleKaart Pro
NTdeuXj8UykL Jy05Upgrade naar KadastraleKaart Pro
gOMqTrpX5tVL Upgrade naar KadastraleKaart Pro
oi08 S2HUpgrade naar KadastraleKaart Pro
oR JSLJsaQKqP0BQiUpgrade naar KadastraleKaart Pro
dP1seOfW DEIZJ0nc1J2 cOUpgrade naar KadastraleKaart Pro
0Wm o860EV0 Upgrade naar KadastraleKaart Pro
pAtFG X9Upgrade naar KadastraleKaart Pro
1tzUqIF9 8UNkfU8rVUpgrade naar KadastraleKaart Pro
30eAvd7gf9U7CG 5eCUpgrade naar KadastraleKaart Pro
17/12/1999

Percelen
Gebruik de zoekbalk of klik op een perceel om informatie over het perceel te bekijken.