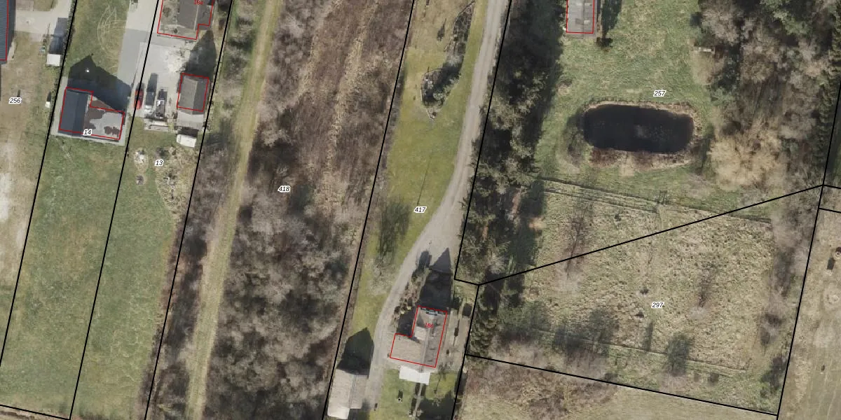
Perceel: SNB00-G-417
KadastraleKaart.com kan meer dan je denktOntdek meer ›
Filter op bestemming 50+ datasets Eigendomsdata in één klik Percelen CRM
3.675 m2 - 353 m
Eigenaar opvragen
SNB00-G-417 (Schoonebeek)
- 7765 AN
rQjHwUK0H6E9h1XxoW0lLDUUpgrade naar KadastraleKaart Pro
Bekijk op Street View
Download DWG/DXF/Excel
JmDTj4S3ahEAx0Upgrade naar KadastraleKaart Pro
VFQYcjL3gk9zsJUpgrade naar KadastraleKaart Pro
Lx5lWCh8XNUffNrlSjYUpgrade naar KadastraleKaart Pro
0s 1QRt4081j1Upgrade naar KadastraleKaart Pro
xiJ fUH52 CLX7tJ7Upgrade naar KadastraleKaart Pro
Y4l1rIZpFtMUpgrade naar KadastraleKaart Pro
q2OudkcmjXomJUpgrade naar KadastraleKaart Pro
DO0Uz04Cyz9z4nbcgUpgrade naar KadastraleKaart Pro
t RWgIQz ik8Upgrade naar KadastraleKaart Pro
qb L8yR7nEsGaUpgrade naar KadastraleKaart Pro
04/12/2007

Percelen
Gebruik de zoekbalk of klik op een perceel om informatie over het perceel te bekijken.