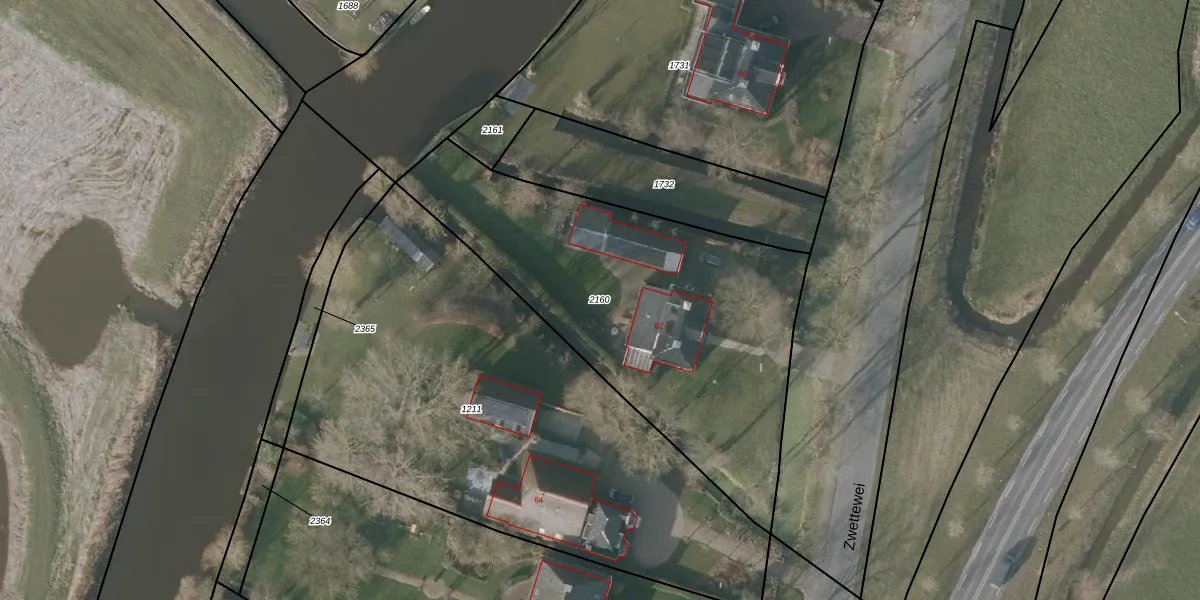
Perceel: SNG00-A-2160
KadastraleKaart.com kan meer dan je denktOntdek meer ›
Filter op bestemming 50+ datasets Eigendomsdata in één klik Percelen CRM
1.730 m2 - 208 m
Eigenaar opvragen
SNG00-A-2160 (Scharnegoutum)
- 8629 ED
OT05UjdF9QABM8YbLqNoUpgrade naar KadastraleKaart Pro
Bekijk op Street View
Download DWG/DXF/Excel
h s5CRkEwpxeIONLDmUpgrade naar KadastraleKaart Pro
wjf8ih uSu WOjOaBIUpgrade naar KadastraleKaart Pro
wTWS6 7JD8 OUpgrade naar KadastraleKaart Pro
Rn 5 TDd0QActs1XVXm mUUpgrade naar KadastraleKaart Pro
iqaY Uzn1YRkLOkk ZY2Upgrade naar KadastraleKaart Pro
RBuwyBUHvzBOisSaoQFUpgrade naar KadastraleKaart Pro
n6vVbHIwlms3FsC6vWMUpgrade naar KadastraleKaart Pro
arW14Pwcw1zZZIx2Upgrade naar KadastraleKaart Pro
3WjCKK2jA06uWey506OtvUpgrade naar KadastraleKaart Pro
0Ljx4Dk3OubgG60 Ps9R Upgrade naar KadastraleKaart Pro
29/11/2006

Percelen
Gebruik de zoekbalk of klik op een perceel om informatie over het perceel te bekijken.