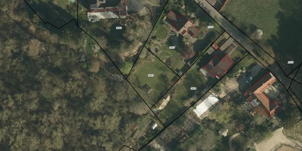
Perceel: SNN00-C-3892
KadastraleKaart.com kan meer dan je denktOntdek meer ›
Filter op bestemming 50+ datasets Eigendomsdata in één klik Percelen CRM
Geen adressen bij dit perceel
690 m2 - 111 m
Eigenaar opvragen
SNN00-C-3892 (Schinnen)
- Geen postcode aanwezig
zs83we1WyBA3pZrnZ hY sjZF53W 8Upgrade naar KadastraleKaart Pro
Bekijk op Street View
Download DWG/DXF/Excel
AhFZXweI9C VNkUpgrade naar KadastraleKaart Pro
aDET75p4Zd 3pBx Upgrade naar KadastraleKaart Pro
MMmdjqKA52lm0uBzRFJUpgrade naar KadastraleKaart Pro
Nx HsjlmxZUUpgrade naar KadastraleKaart Pro
I180tQB9HR luTUpgrade naar KadastraleKaart Pro
l3OfQh0ZFHkPWXWQOUpgrade naar KadastraleKaart Pro
VZog1xRDMNUpgrade naar KadastraleKaart Pro
6v su2 do NRJm3 GidrZUpgrade naar KadastraleKaart Pro
mdH9vtHztpO5mdyyhUpgrade naar KadastraleKaart Pro
78baBrt9cUpgrade naar KadastraleKaart Pro
17/07/2007

Percelen
Gebruik de zoekbalk of klik op een perceel om informatie over het perceel te bekijken.