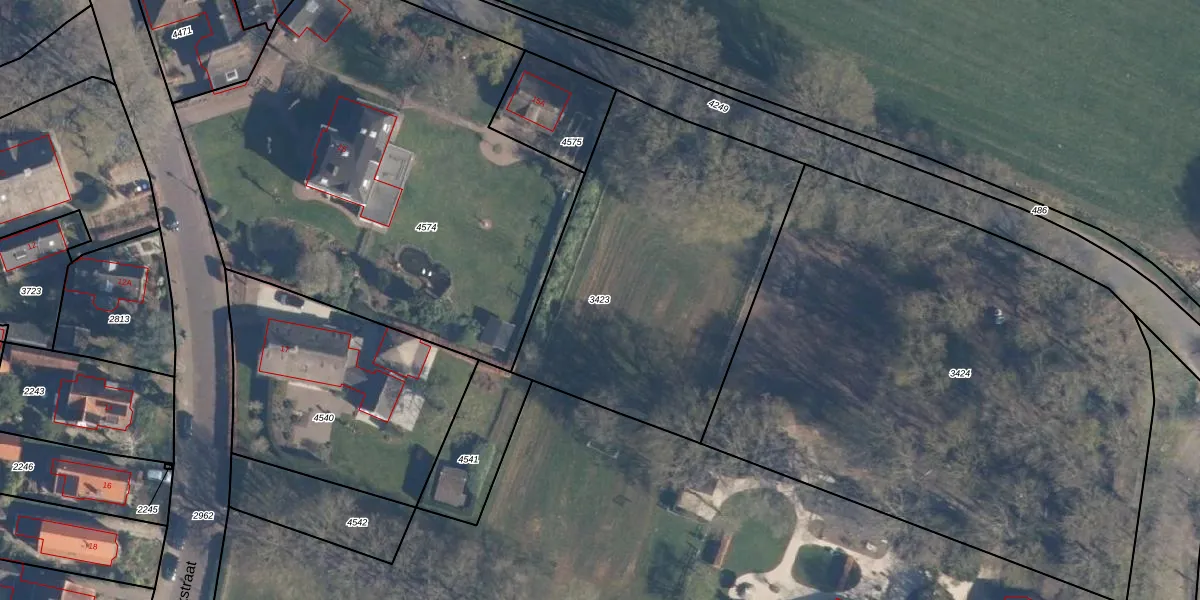
Perceel: SOE00-C-3423
KadastraleKaart.com kan meer dan je denktOntdek meer ›
Filter op bestemming 50+ datasets Eigendomsdata in één klik Percelen CRM
Geen adressen bij dit perceel
1.734 m2 - 168 m
Eigenaar opvragen
SOE00-C-3423 (Soest)
- Geen postcode aanwezig
jj228 WN 7e4AL2nUJLeo eGYld3Upgrade naar KadastraleKaart Pro
Bekijk op Street View
Download DWG/DXF/Excel
AZ0uml5JD7pA3FUpgrade naar KadastraleKaart Pro
U9779LhOVWxeUpgrade naar KadastraleKaart Pro
ASMMfu Ab6 tsInUpgrade naar KadastraleKaart Pro
i1i3A KD6IljUpgrade naar KadastraleKaart Pro
8HFrJYNCxA Upgrade naar KadastraleKaart Pro
T6K ckpsUpgrade naar KadastraleKaart Pro
dAivRaDJdCh 1NxhuBg3cUpgrade naar KadastraleKaart Pro
Gqv 2gs3SUpgrade naar KadastraleKaart Pro
wJHdwX8ByTRYXQgUpgrade naar KadastraleKaart Pro
cG f xYBXR8uTNoUpgrade naar KadastraleKaart Pro
13/02/2003

Percelen
Gebruik de zoekbalk of klik op een perceel om informatie over het perceel te bekijken.