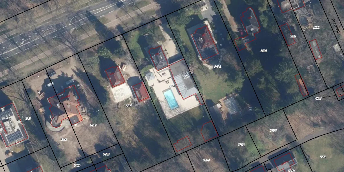
Perceel: SOE00-E-2163
KadastraleKaart.com kan meer dan je denktOntdek meer ›
Filter op bestemming 50+ datasets Eigendomsdata in één klik Percelen CRM
2.115 m2 - 209 m
Eigenaar opvragen
SOE00-E-2163 (Soest)
- 3769 AN
rAaHcv Dr0iU35m nUy 0E0gUpgrade naar KadastraleKaart Pro
Verkoopprijs opvragen
Bekijk op Street View
Download DWG/DXF/Excel
sF4Wr 9jh13OuK9gUpgrade naar KadastraleKaart Pro
zxot3a V8Upgrade naar KadastraleKaart Pro
pU5mWTk0 6 Q1StEvUpgrade naar KadastraleKaart Pro
wdjzIMxTsAMTWlZhxdUpgrade naar KadastraleKaart Pro
NOfuEgeE 7cJchn6JJnpAlUpgrade naar KadastraleKaart Pro
fahnhW0BA 79MJf FoUpgrade naar KadastraleKaart Pro
gSZcEYZYp h60FWNTkfm tUpgrade naar KadastraleKaart Pro
SaUi9RpnuUpgrade naar KadastraleKaart Pro
E1zMfzcxnwc nxU HxmUUpgrade naar KadastraleKaart Pro
3Bmss fjKQ1ZgmEUpgrade naar KadastraleKaart Pro
10/10/2023

Percelen
Gebruik de zoekbalk of klik op een perceel om informatie over het perceel te bekijken.