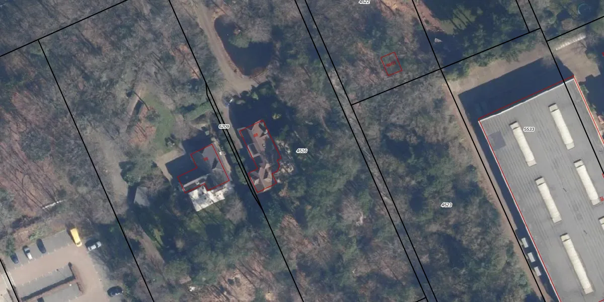
Perceel: SOE00-E-4516
KadastraleKaart.com kan meer dan je denktOntdek meer ›
Filter op bestemming 50+ datasets Eigendomsdata in één klik Percelen CRM
4.960 m2 - 337 m
Eigenaar opvragen
SOE00-E-4516 (Soest)
- 3769 AM
0u cqmZCTc an EpzZlAXKYyucxBv5Upgrade naar KadastraleKaart Pro
Verkoopprijs opvragen
Bekijk op Street View
Download DWG/DXF/Excel
JY fMkNDfOWH 8DkUpgrade naar KadastraleKaart Pro
ZCLSQ87MmkCkRAgyNP1wKVUpgrade naar KadastraleKaart Pro
wxOX8 g4oyoUpgrade naar KadastraleKaart Pro
aHHdSrXeBUpgrade naar KadastraleKaart Pro
Zq7s sIZUpgrade naar KadastraleKaart Pro
E1PRWARYUpgrade naar KadastraleKaart Pro
zViPRyC10MoXMUpgrade naar KadastraleKaart Pro
iotLHt wiVu3C YqUpgrade naar KadastraleKaart Pro
jIhVgY 1 uL66xpbfZAxZUDUpgrade naar KadastraleKaart Pro
Sj0B SJdd5AUpgrade naar KadastraleKaart Pro
08/12/2015

Percelen
Gebruik de zoekbalk of klik op een perceel om informatie over het perceel te bekijken.