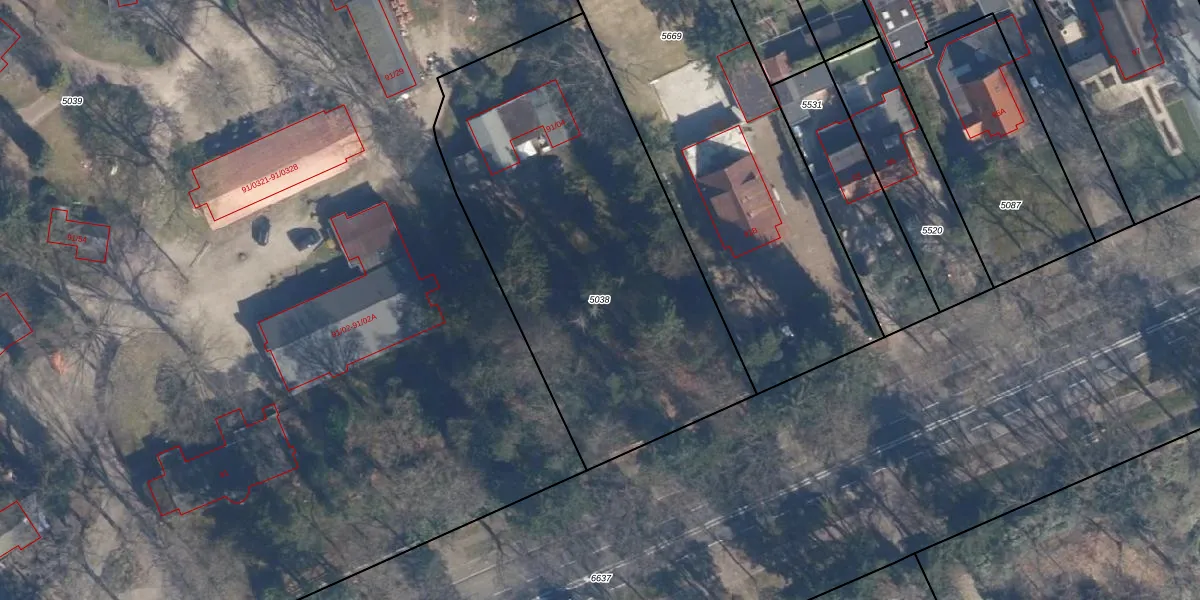
Perceel: SOE00-E-5038
KadastraleKaart.com kan meer dan je denktOntdek meer ›
Filter op bestemming 50+ datasets Eigendomsdata in één klik Percelen CRM
2.150 m2 - 199 m
Eigenaar opvragen
SOE00-E-5038 (Soest)
- 3769 AH
3k9nMBb6j9Drlck8lLKNUpgrade naar KadastraleKaart Pro
Bekijk op Street View
Download DWG/DXF/Excel
TY M0xeNtFwp dQxIkUpgrade naar KadastraleKaart Pro
Izbe9 4f8feOzl6s8kUYUpgrade naar KadastraleKaart Pro
0Rn4mvXrHEmWb9SycLjJd2BUpgrade naar KadastraleKaart Pro
gfIHoNa50NdvmiAUpgrade naar KadastraleKaart Pro
stPcfQnkUpgrade naar KadastraleKaart Pro
7sGwf5qKPFwPRV79zcf 9PAUpgrade naar KadastraleKaart Pro
7 60xS 7gh 1Ut61D0LUpgrade naar KadastraleKaart Pro
cx8TWAdhFI8Upgrade naar KadastraleKaart Pro
YcV2 Ojc 7 WdQu0h5GUpgrade naar KadastraleKaart Pro
MBbtIylEReUpgrade naar KadastraleKaart Pro
11/05/2006

Percelen
Gebruik de zoekbalk of klik op een perceel om informatie over het perceel te bekijken.