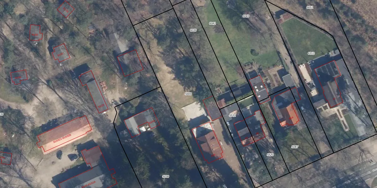
Perceel: SOE00-E-5669
KadastraleKaart.com kan meer dan je denktOntdek meer ›
Filter op bestemming 50+ datasets Eigendomsdata in één klik Percelen CRM
2.440 m2 - 257 m
Eigenaar opvragen
SOE00-E-5669 (Soest)
- 3769 AH
vXhNQJuFF4 fl8 lFWiosoUpgrade naar KadastraleKaart Pro
Verkoopprijs opvragen
Bekijk op Street View
Download DWG/DXF/Excel
HAvy 7V08ZJoltUKMypUpgrade naar KadastraleKaart Pro
BpDL pSF jdfguYA1u3yCgUpgrade naar KadastraleKaart Pro
ntMwfuKgtkuEP7OoX6Km5bUpgrade naar KadastraleKaart Pro
JG iT OkfMWR di QwUpgrade naar KadastraleKaart Pro
lxvBRIc9Eg1XHo Upgrade naar KadastraleKaart Pro
vOOpiMhI1UKwOiAUpgrade naar KadastraleKaart Pro
wDy0tMhhYscjdLUpgrade naar KadastraleKaart Pro
cAA5 dY syC4VzHEUpgrade naar KadastraleKaart Pro
LRX9Qye43Bja 3P3N mbEXUpgrade naar KadastraleKaart Pro
Gcy1s7LQ 5Upgrade naar KadastraleKaart Pro
11/05/2006

Percelen
Gebruik de zoekbalk of klik op een perceel om informatie over het perceel te bekijken.