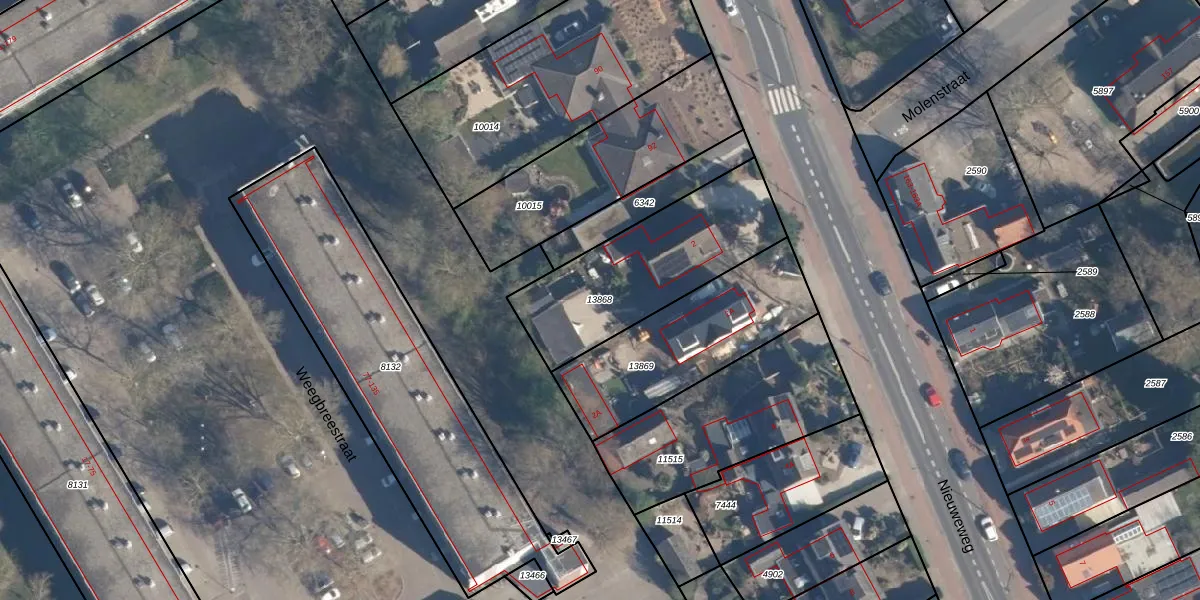
Perceel: SOE00-G-13868
KadastraleKaart.com kan meer dan je denktOntdek meer ›
Filter op bestemming 50+ datasets Eigendomsdata in één klik Percelen CRM
663 m2 - 122 m
Eigenaar opvragen
SOE00-G-13868 (Soest)
- 3765 GD
Jpu8b4Y7espcq20LllXs4HqZxrUpgrade naar KadastraleKaart Pro
Verkoopprijs opvragen
Bekijk op Street View
Download DWG/DXF/Excel
O1LM TUq6UbKmUpgrade naar KadastraleKaart Pro
fFB2Bh1djUpgrade naar KadastraleKaart Pro
XYdYzK44 L J HpUpgrade naar KadastraleKaart Pro
T Qf cDx BNxeYN1qyWXxjUpgrade naar KadastraleKaart Pro
4qKD5TSxgSR8yvjcz1qcaUpgrade naar KadastraleKaart Pro
BCY03Y kyK s5t8qbVPDiUpgrade naar KadastraleKaart Pro
qn6jbR7o2TzexKY aTpGMM Upgrade naar KadastraleKaart Pro
5ouVF n HtHgfUpgrade naar KadastraleKaart Pro
iJiG g IVUpgrade naar KadastraleKaart Pro
c8VeAnk7fUpgrade naar KadastraleKaart Pro
07/10/2019

Percelen
Gebruik de zoekbalk of klik op een perceel om informatie over het perceel te bekijken.