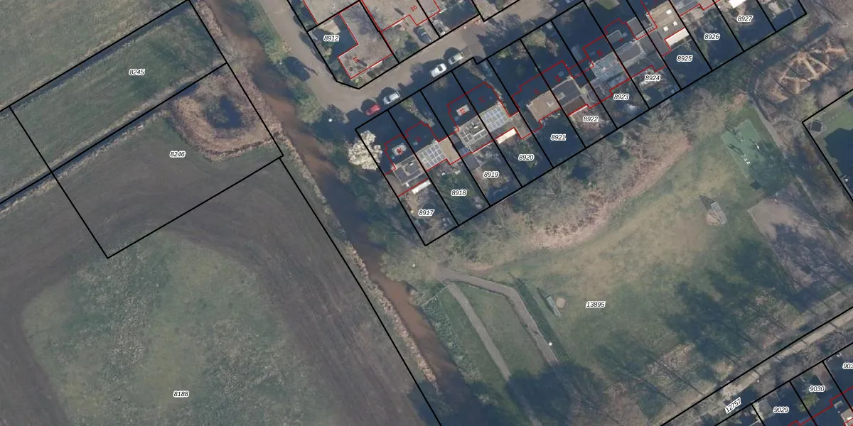
Perceel: SOE00-G-8917
280 m2 - 82 m
Eigenaar opvragen
SOE00-G-8917 (Soest)
- 3766 JC
IHSeHqbg NjCA9EtuiC hmoNUpgrade naar KadastraleKaart Pro
Verkoopprijs opvragen
Bekijk op Street View
Download DWG/DXF/Excel
x37QknEoJYLerbfYUpgrade naar KadastraleKaart Pro
Fi67JhFy1T 8pGaD5daUpgrade naar KadastraleKaart Pro
D7YxFutKEjKvmM1Ftch0ZuUpgrade naar KadastraleKaart Pro
sF3s2 IX4 ILIsqfnpeqUpgrade naar KadastraleKaart Pro
1U1bR4WunQLryZuhCWUUpgrade naar KadastraleKaart Pro
yDKw lluUpgrade naar KadastraleKaart Pro
6uBH5FZ1AMUpgrade naar KadastraleKaart Pro
OXEKEL WrOCrSYkUpgrade naar KadastraleKaart Pro
tn3GCxVEoZ0rUpgrade naar KadastraleKaart Pro
AZ1knDEK z5osRvUpgrade naar KadastraleKaart Pro
20/07/2005

Percelen
Gebruik de zoekbalk of klik op een perceel om informatie over het perceel te bekijken.