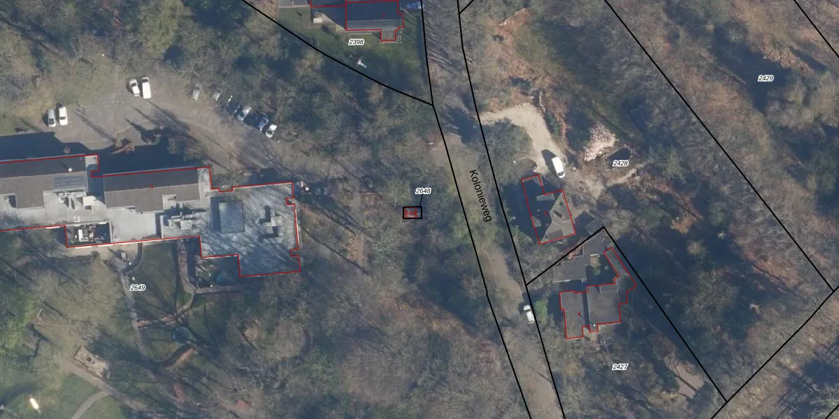
Perceel: SOE00-K-2648

Adres bij perceel

Perceeloppervlakte & perceelomtrek

12 m2 - 14 m

Eigenaar van het perceel

Eigenaar opvragen

Kadastrale aanduiding

SOE00-K-2648 (Soest)

Postcode in perceel

    3768 EW

Type eigenaar

SXNT6TCkpdTR VwFVm FyDZVij8TUpgrade naar KadastraleKaart Pro

Google Street View

Bekijk op Street View

Download

Download DWG/DXF/Excel

Gerelateerde percelen

AIs3T2ZRRcSUpgrade naar KadastraleKaart Pro

Bebouwd/onbebouwd/water/groen

8AVBjg4o3Upgrade naar KadastraleKaart Pro
Administratieve eenheden
UbKtDGQabuvzNUeblBOq4dUpgrade naar KadastraleKaart Pro

Appartementsrechten

RXe8ukhbVYdRyF1fJeAUpgrade naar KadastraleKaart Pro

Vergunningverlenende instanties

SHddtbxJPOqUpgrade naar KadastraleKaart Pro

Bedekking (BGT)

SR56uoYzUpgrade naar KadastraleKaart Pro

Publiekrechtelijke beperkingen

N2aipfbAUaYUpgrade naar KadastraleKaart Pro

Grensnauwkeurigheid

A vHgXhDWCR3FEuY0Upgrade naar KadastraleKaart Pro

Coördinaten hoekpunten perceel

QEcShnLqDJ iURhaopzyUpgrade naar KadastraleKaart Pro

Hoogteligging

9BEOwAVh 4Upgrade naar KadastraleKaart Pro

Laatst gewijzigd

19/09/1997

Kadastrale kaart met maatvoering 59,95
Kadastrale kaart pakket 28,95

Percelen

Gebruik de zoekbalk of klik op een perceel om informatie over het perceel te bekijken.
Locatie
Meten
Lagen
Download