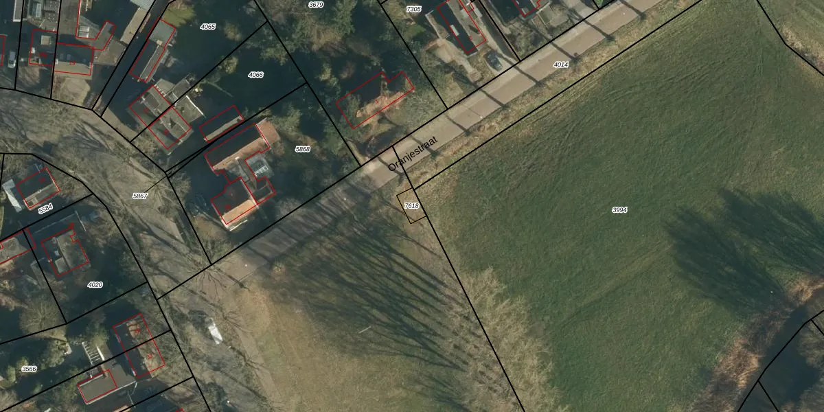
Perceel
Oppervlakte
34 m²
Aantal adressen
Geen adressen
Aanduiding
SON00-C-7618 - Son en Breugel
Verkocht in
Onbekend
Eigendom
Eigenaar
Eigenaar opvragen
Type eigenaar
gYly MGddEznIYPSuQwkXIeUpgrade naar KadastraleKaart Pro
Appartementsrechten
Identificatie
V7 ejLe dzFaDHUpgrade naar KadastraleKaart Pro
Gerelateerde percelen
Aanduiding
AH zg9cgvp c Sq30L9SUpgrade naar KadastraleKaart Pro
Ligging
Meer functies

Percelen
Gebruik de zoekbalk of klik op een perceel om informatie over het perceel te bekijken.