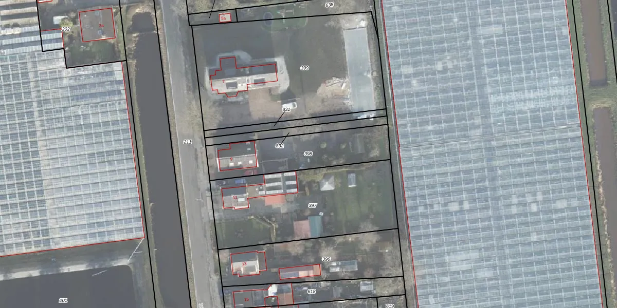
Perceel: SPM00-K-398
670 m2 - 141 m
Eigenaar opvragen
SPM00-K-398 (Sappemeer)
- 9611 CA
iqCgPmRh0 r5aZL4Upgrade naar KadastraleKaart Pro
Bekijk op Street View
Download DWG/DXF/Excel
G2lxJxUlMWXUpgrade naar KadastraleKaart Pro
15RXzMQZ1IVtCqQUhG7 TUpgrade naar KadastraleKaart Pro
DxrGgKKHAPxaUpgrade naar KadastraleKaart Pro
sCsosNqsHWQ sLXPV1mUpgrade naar KadastraleKaart Pro
X6UNLPC0oW5BiRLUpgrade naar KadastraleKaart Pro
T MwDT5wYFS8sYBUUUpgrade naar KadastraleKaart Pro
t p bVg4yEkkN GJITByxUpgrade naar KadastraleKaart Pro
GoWbQQ NnxCmZE8ecUpgrade naar KadastraleKaart Pro
JTlPYlTdfAkIv4A6kZmlUpgrade naar KadastraleKaart Pro
t3pdLeZe7dQ A0Upgrade naar KadastraleKaart Pro
09/05/2001

Percelen
Gebruik de zoekbalk of klik op een perceel om informatie over het perceel te bekijken.