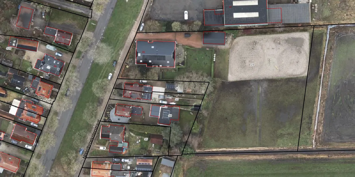
Perceel: SPM00-K-52
346 m2 - 118 m
Eigenaar opvragen
SPM00-K-52 (Sappemeer)
- 9611 BE
2lxLYnHmFR9vaXm66 Upgrade naar KadastraleKaart Pro
Verkoopprijs opvragen
Bekijk op Street View
Download DWG/DXF/Excel
ngvZxH RzPEIy0s9Upgrade naar KadastraleKaart Pro
p21HFJk zz57wK5K tRHUpgrade naar KadastraleKaart Pro
F9cAX2ttSgSb ddMDNqO Upgrade naar KadastraleKaart Pro
I14HGlNYC tRRPQhala9wTUpgrade naar KadastraleKaart Pro
l3UgeZmuGUfnfCUpgrade naar KadastraleKaart Pro
EPYw3 GxgxBiGG0uXmV6mUpgrade naar KadastraleKaart Pro
kWB mvONU5AbtLgXtHvvUpgrade naar KadastraleKaart Pro
SyaTjkVmavfvUpgrade naar KadastraleKaart Pro
ecc 5IJ0CXcyFXUpgrade naar KadastraleKaart Pro
MCNon5 DUZ5gCLIGCgTUpgrade naar KadastraleKaart Pro
22/06/1999

Percelen
Gebruik de zoekbalk of klik op een perceel om informatie over het perceel te bekijken.