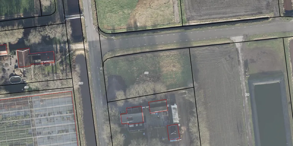
Perceel: SPM00-K-633
Geen adressen bij dit perceel
1.732 m2 - 175 m
Eigenaar opvragen
SPM00-K-633 (Sappemeer)
- Geen postcode aanwezig
0lStt w06oFhdWilqUpgrade naar KadastraleKaart Pro
Bekijk op Street View
Download DWG/DXF/Excel
F88OHLAaAtH2Upgrade naar KadastraleKaart Pro
P2ERdNvdGiduUVkwAUpgrade naar KadastraleKaart Pro
u1v7CZXbUpgrade naar KadastraleKaart Pro
qZEpn6pxM8Upgrade naar KadastraleKaart Pro
I9k7R51PFyLUpgrade naar KadastraleKaart Pro
hjGQCofuDfrzsCUpgrade naar KadastraleKaart Pro
opA E5jTcLXARb Upgrade naar KadastraleKaart Pro
fGw5V apUpgrade naar KadastraleKaart Pro
Bw4Wvwj 0qyVyO0DIeMwUpgrade naar KadastraleKaart Pro
e6 aB3 0PuJ 4Bca5qcUpgrade naar KadastraleKaart Pro
09/05/2001

Percelen
Gebruik de zoekbalk of klik op een perceel om informatie over het perceel te bekijken.