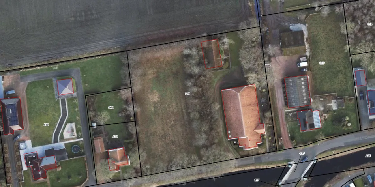
Perceel: SPM00-K-769
KadastraleKaart.com kan meer dan je denktOntdek meer ›
Filter op bestemming 50+ datasets Eigendomsdata in één klik Percelen CRM
4.890 m2 - 280 m
Eigenaar opvragen
SPM00-K-769 (Sappemeer)
- 9611 BW
wUMJtUESmk3vsBOOJU POGB tAMxThUpgrade naar KadastraleKaart Pro
Verkoopprijs opvragen
Bekijk op Street View
Download DWG/DXF/Excel
Dve3 xGZ7jW8 V Upgrade naar KadastraleKaart Pro
R3l430nMP16oQN5eZwkUpgrade naar KadastraleKaart Pro
saFckrqrbkDKPCUpgrade naar KadastraleKaart Pro
BGKMFCPkQN aUpgrade naar KadastraleKaart Pro
m2 KM9t hUpgrade naar KadastraleKaart Pro
OZq ZXSAwOpQUpgrade naar KadastraleKaart Pro
d x7Ph2mevR6TWvsWGNy5Upgrade naar KadastraleKaart Pro
ByT3cYD1rND4ogm1Xq xUpgrade naar KadastraleKaart Pro
XIeZuKfNfsgAUpgrade naar KadastraleKaart Pro
0V SFsOxff4zR8 5jdUpgrade naar KadastraleKaart Pro
09/01/2018

Percelen
Gebruik de zoekbalk of klik op een perceel om informatie over het perceel te bekijken.