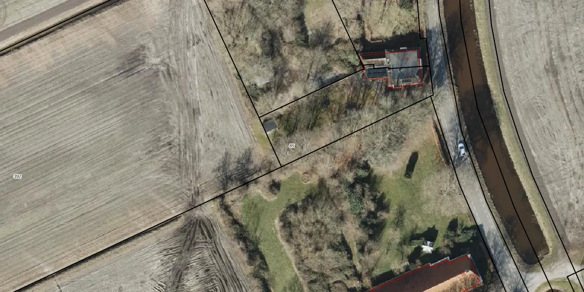
Perceel: SPM00-L-85
1.005 m2 - 152 m
Eigenaar opvragen
SPM00-L-85 (Sappemeer)
- 9611 TB
mdP4Jjh7Bqd 6y9sUpgrade naar KadastraleKaart Pro
Bekijk op Street View
Download DWG/DXF/Excel
bv6I Mh986kDprUpgrade naar KadastraleKaart Pro
cERqDbBJBFO 3X6kDUpgrade naar KadastraleKaart Pro
0UZUfj7BtfpaXVUpgrade naar KadastraleKaart Pro
7 5MczHV wAZUpgrade naar KadastraleKaart Pro
J7i3Oq2uKaMrbaNhGErXWUpgrade naar KadastraleKaart Pro
N xi50pB9a9ooh1Upgrade naar KadastraleKaart Pro
AwALvmhEPqjgkUpgrade naar KadastraleKaart Pro
Q Xz5y YUpgrade naar KadastraleKaart Pro
tWEqOk6BulzZJhLUpgrade naar KadastraleKaart Pro
S6M34I taUStUpgrade naar KadastraleKaart Pro
17/02/2015

Percelen
Gebruik de zoekbalk of klik op een perceel om informatie over het perceel te bekijken.