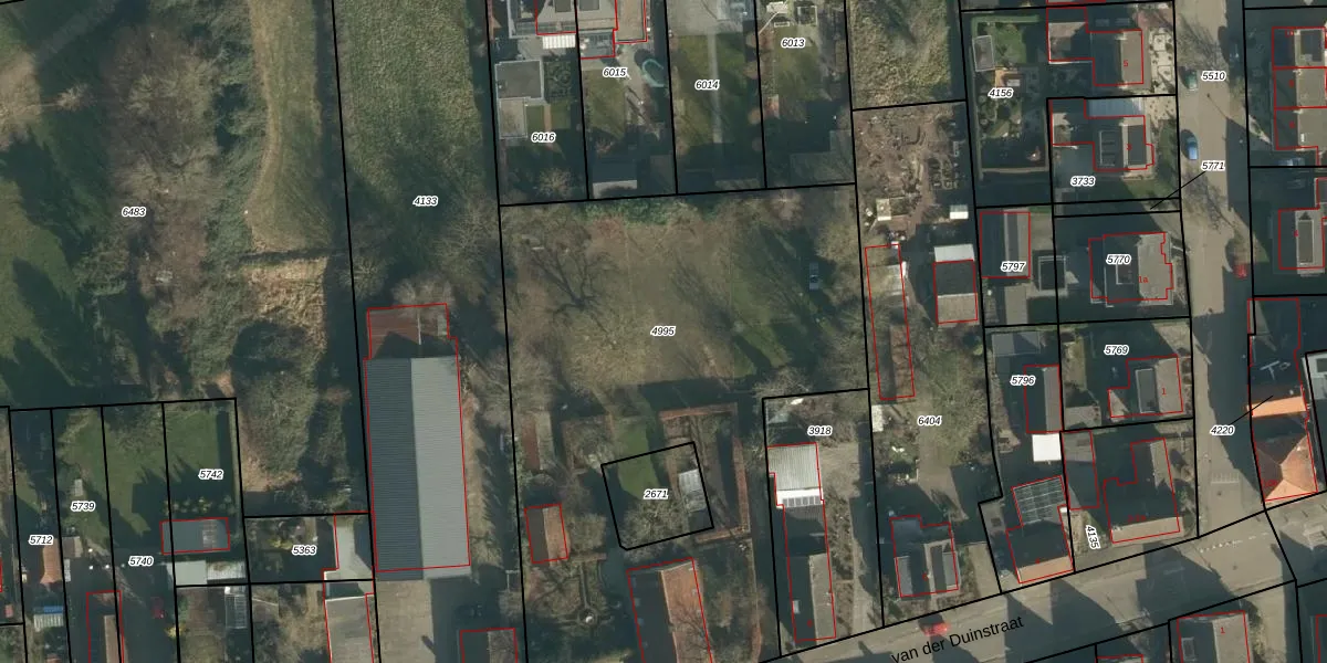
Perceel: SPR01-B-4995
KadastraleKaart.com kan meer dan je denktOntdek meer ›
Filter op bestemming 50+ datasets Eigendomsdata in één klik Percelen CRM
3.182 m2 - 316 m
Eigenaar opvragen
SPR01-B-4995 (Sprang)
- 5161 BP
LBI 6IYeoxdkb4 G4uUpgrade naar KadastraleKaart Pro
Bekijk op Street View
Download DWG/DXF/Excel
xMi fLefDWXjfFSjVUYAPUpgrade naar KadastraleKaart Pro
FgD59kE kgnUpgrade naar KadastraleKaart Pro
7WD5VL0946ga Upgrade naar KadastraleKaart Pro
u1nyyHJp eEwUe 3n0hRUpgrade naar KadastraleKaart Pro
u V8KH94NUpgrade naar KadastraleKaart Pro
NLSR 6XrU6ji81YZd2tBiUpgrade naar KadastraleKaart Pro
MdApDH Oid n8 KUpgrade naar KadastraleKaart Pro
iYS7J4T wyaS2ph2eZxOu2rUpgrade naar KadastraleKaart Pro
W6QUAGi13SVUpgrade naar KadastraleKaart Pro
J0tHWWhNYPkYW2lFIq4lUpgrade naar KadastraleKaart Pro
06/06/2014

Percelen
Gebruik de zoekbalk of klik op een perceel om informatie over het perceel te bekijken.