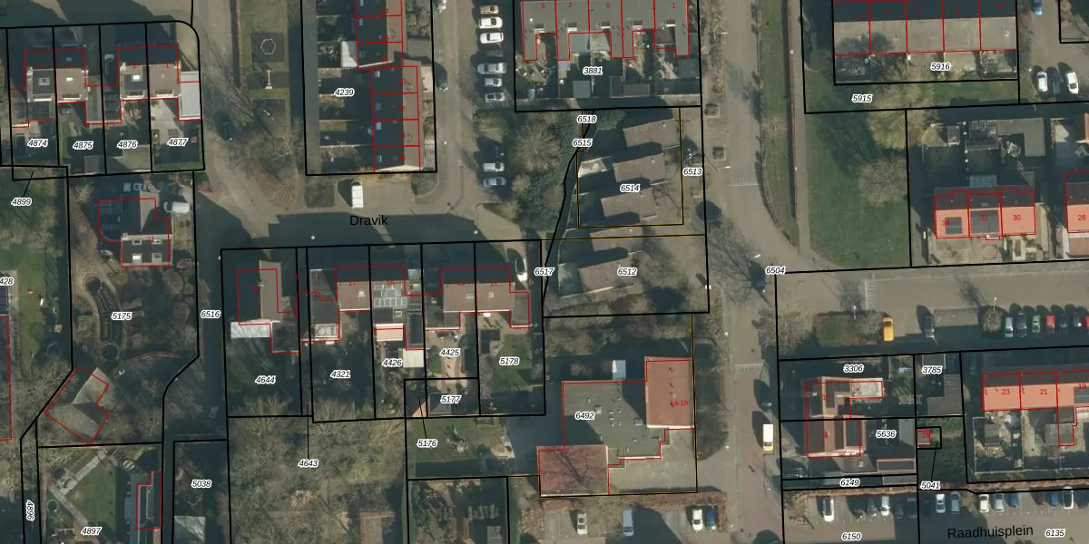
Perceel: SPR01-B-6517
KadastraleKaart.com kan meer dan je denktOntdek meer ›
Filter op bestemming 50+ datasets Eigendomsdata in één klik Percelen CRM
Geen adressen bij dit perceel
13 m2 - 27 m
Eigenaar opvragen
SPR01-B-6517 (Sprang)
- Geen postcode aanwezig
K2XMG 6XLnEy4k70s R M 7fG 29Upgrade naar KadastraleKaart Pro
Bekijk op Street View
Download DWG/DXF/Excel
4Wqgc8 myUpgrade naar KadastraleKaart Pro
i0 Q SyA803fi qdQbDUpgrade naar KadastraleKaart Pro
5aOdSNJckNCFZ93JXUpgrade naar KadastraleKaart Pro
Pw3c4fD9K9V67Upgrade naar KadastraleKaart Pro
cZTthsCiu4tLJw14Upgrade naar KadastraleKaart Pro
158qK9JJVUpgrade naar KadastraleKaart Pro
dQDS9OW1rWY6d1k8OZaogcUpgrade naar KadastraleKaart Pro
FC9M3YXG4F apdTt7Upgrade naar KadastraleKaart Pro
U3c9fslFkEMUpgrade naar KadastraleKaart Pro
PPNF1 XUpgrade naar KadastraleKaart Pro
09/02/2026

Percelen
Gebruik de zoekbalk of klik op een perceel om informatie over het perceel te bekijken.