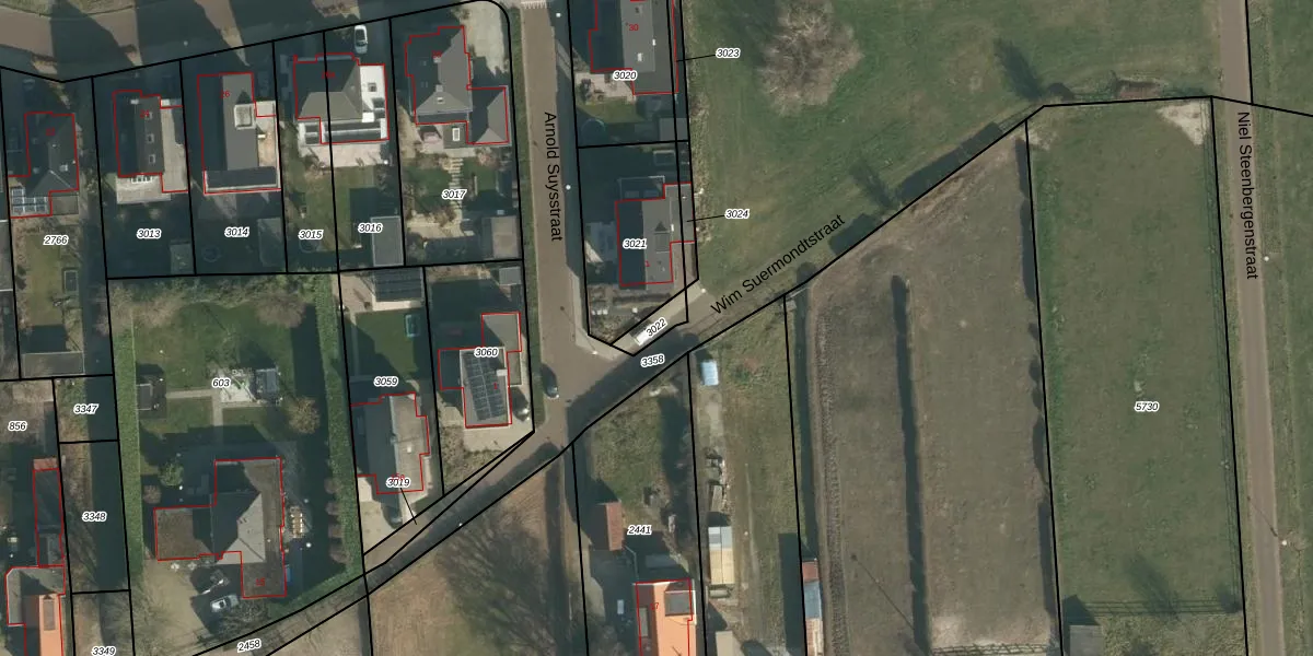
Perceel: SPR01-C-3022
KadastraleKaart.com kan meer dan je denktOntdek meer ›
Filter op bestemming 50+ datasets Eigendomsdata in één klik Percelen CRM
Geen adressen bij dit perceel
45 m2 - 33 m
Eigenaar opvragen
SPR01-C-3022 (Sprang)
- Geen postcode aanwezig
tWL6Tr j0clPhAzebKK Q 2WNo0Upgrade naar KadastraleKaart Pro
Bekijk op Street View
Download DWG/DXF/Excel
oJ96OKul Iq91zoo1bxc9 Upgrade naar KadastraleKaart Pro
REd5TLox35 FW4ESUpgrade naar KadastraleKaart Pro
9OkJFAopo I0OzoxYAYO6pUpgrade naar KadastraleKaart Pro
dBTQDpzhSYliDsizocKsjxRUpgrade naar KadastraleKaart Pro
JXoXyDIW0iWmNUpgrade naar KadastraleKaart Pro
ATumjKI2FWrpskhqQ7zUpgrade naar KadastraleKaart Pro
R xa45k5UGajEKR7KGv0IKVUpgrade naar KadastraleKaart Pro
mwlHwg6Xpv8Upgrade naar KadastraleKaart Pro
AUW zh Z8hA0LXqps2MUpgrade naar KadastraleKaart Pro
wD 5rTf4FUpgrade naar KadastraleKaart Pro
26/04/2018

Percelen
Gebruik de zoekbalk of klik op een perceel om informatie over het perceel te bekijken.