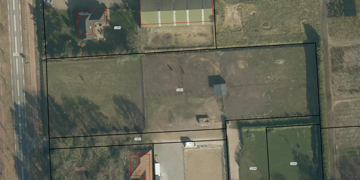
Perceel: SPR01-C-3341
KadastraleKaart.com kan meer dan je denktOntdek meer ›
Filter op bestemming 50+ datasets Eigendomsdata in één klik Percelen CRM
6.440 m2 - 390 m
Eigenaar opvragen
SPR01-C-3341 (Sprang)
- 5161 ME
sSLa864X8N oH VfLwpBBpV4Upgrade naar KadastraleKaart Pro
Bekijk op Street View
Download DWG/DXF/Excel
l8Yj X7PFJ8Upgrade naar KadastraleKaart Pro
KXY8BI6jFitUpgrade naar KadastraleKaart Pro
nontj9LiCW1fUpgrade naar KadastraleKaart Pro
GIzdfoRnlH08JhrjtMUpgrade naar KadastraleKaart Pro
qQoQy3HU6nVc7u2Sx4Upgrade naar KadastraleKaart Pro
Czxkb4ZqqOZ1 fxRt6xUpgrade naar KadastraleKaart Pro
bxyBl 1GLUpgrade naar KadastraleKaart Pro
YtdDGGpxTId2Upgrade naar KadastraleKaart Pro
Cfy4VN43 hzx 7M9H7GUpgrade naar KadastraleKaart Pro
B0 syWoA98Z4AjjLfiUpgrade naar KadastraleKaart Pro
16/01/2024

Percelen
Gebruik de zoekbalk of klik op een perceel om informatie over het perceel te bekijken.