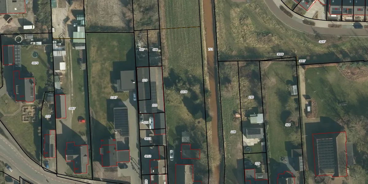
Perceel: SPR01-C-3378
KadastraleKaart.com kan meer dan je denktOntdek meer ›
Filter op bestemming 50+ datasets Eigendomsdata in één klik Percelen CRM
2.026 m2 - 225 m
Eigenaar opvragen
SPR01-C-3378 (Sprang)
- 5161 BS
mI9m aLhm lTUIbTSUpgrade naar KadastraleKaart Pro
Bekijk op Street View
Download DWG/DXF/Excel
DfBLmA mizbMdxv l6iUpgrade naar KadastraleKaart Pro
SZzULzl5rXqW9vm9TUpgrade naar KadastraleKaart Pro
kc72OkttdUpgrade naar KadastraleKaart Pro
vZNu vvqQoUpgrade naar KadastraleKaart Pro
jB UMYZDwl1bprCcP8Upgrade naar KadastraleKaart Pro
rA0i fSEnUpgrade naar KadastraleKaart Pro
kEErlafhQfVeDSkl 97Rt5lUpgrade naar KadastraleKaart Pro
Hsh3PIMj H0KbBuhG22LHkoUpgrade naar KadastraleKaart Pro
lCdekZNXiBUpgrade naar KadastraleKaart Pro
qS6aVao7 q3INV4Upgrade naar KadastraleKaart Pro
17/12/2025

Percelen
Gebruik de zoekbalk of klik op een perceel om informatie over het perceel te bekijken.