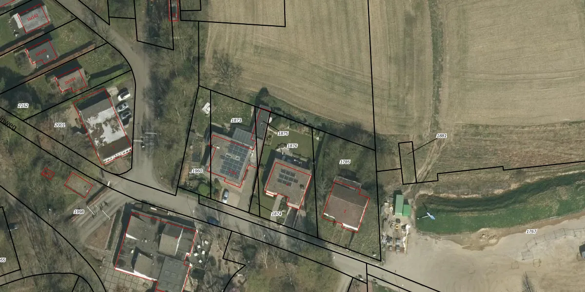
Perceel: SPV00-C-1876
KadastraleKaart.com kan meer dan je denktOntdek meer ›
Filter op bestemming 50+ datasets Eigendomsdata in één klik Percelen CRM
676 m2 - 111 m
Eigenaar opvragen
SPV00-C-1876 (Simpelveld)
- 6369 TZ
Wy4wvADVP6ennu RVhUpgrade naar KadastraleKaart Pro
Bekijk op Street View
Download DWG/DXF/Excel
4dYzKNSK2nUpgrade naar KadastraleKaart Pro
Y4XNJ0UAUpgrade naar KadastraleKaart Pro
cS TVcBIJ ACdya6NMAIDRUpgrade naar KadastraleKaart Pro
cRuSzLGvxSmyVUpgrade naar KadastraleKaart Pro
q7Jb2 GWOBEQnLRWNMelUpgrade naar KadastraleKaart Pro
n3VUxUpJPqs3 nx95Pk7Upgrade naar KadastraleKaart Pro
h pqurWS4Zt0e4SgY CfUpgrade naar KadastraleKaart Pro
Gsf79YPR HNucj8Wh0Upgrade naar KadastraleKaart Pro
65TezCh9ucPUpgrade naar KadastraleKaart Pro
1ay9xNCBkr4Upgrade naar KadastraleKaart Pro
30/01/2008

Percelen
Gebruik de zoekbalk of klik op een perceel om informatie over het perceel te bekijken.