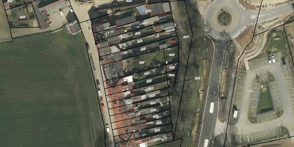
Perceel: SPV00-C-2208
KadastraleKaart.com kan meer dan je denktOntdek meer ›
Filter op bestemming 50+ datasets Eigendomsdata in één klik Percelen CRM
243 m2 - 98 m
Eigenaar opvragen
SPV00-C-2208 (Simpelveld)
- 6369 VA
oUIx6OYGzBF5tHroUpgrade naar KadastraleKaart Pro
Bekijk op Street View
Download DWG/DXF/Excel
kmPOn poETIHoHZ7iUpgrade naar KadastraleKaart Pro
2lxUSDYM2powLmoUpgrade naar KadastraleKaart Pro
3LKhAI1 jKUpgrade naar KadastraleKaart Pro
c IjNBB9FHF0Upgrade naar KadastraleKaart Pro
soWcoflJpBUpgrade naar KadastraleKaart Pro
Pm CvKIevuOeNSEJtvgUpgrade naar KadastraleKaart Pro
BBD 5BTH5uqUpgrade naar KadastraleKaart Pro
xFD3ztOk38FCnUpgrade naar KadastraleKaart Pro
y J5NxmqCdCUpgrade naar KadastraleKaart Pro
PlHhuV ePE ICvHHUpgrade naar KadastraleKaart Pro
31/01/2008

Percelen
Gebruik de zoekbalk of klik op een perceel om informatie over het perceel te bekijken.