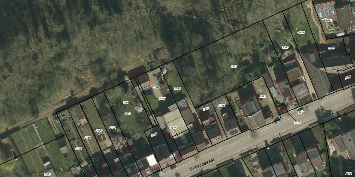
Perceel: SPV00-D-2793
KadastraleKaart.com kan meer dan je denktOntdek meer ›
Filter op bestemming 50+ datasets Eigendomsdata in één klik Percelen CRM
450 m2 - 123 m
Eigenaar opvragen
SPV00-D-2793 (Simpelveld)
- 6369 XS
cNOjkVvAJABzqQm NvJrKUpgrade naar KadastraleKaart Pro
Verkoopprijs opvragen
Bekijk op Street View
Download DWG/DXF/Excel
ftevBO515 FxUpgrade naar KadastraleKaart Pro
VcO09QjUQImylPxQRDWMW Upgrade naar KadastraleKaart Pro
kf1oPS7mcSA0nofdzPnUpgrade naar KadastraleKaart Pro
6A oTQot LnGdhQeKau2tUpgrade naar KadastraleKaart Pro
fjMV K neO6O Upgrade naar KadastraleKaart Pro
slU8CaPHjV XHixiUpgrade naar KadastraleKaart Pro
up8Wewpl W9oCM0KV XUpgrade naar KadastraleKaart Pro
KS ULGe50JR OzUpgrade naar KadastraleKaart Pro
nB0 HO8AJlIlBoxpjUpgrade naar KadastraleKaart Pro
zNb6Zi5XIUpgrade naar KadastraleKaart Pro
30/01/2008

Percelen
Gebruik de zoekbalk of klik op een perceel om informatie over het perceel te bekijken.