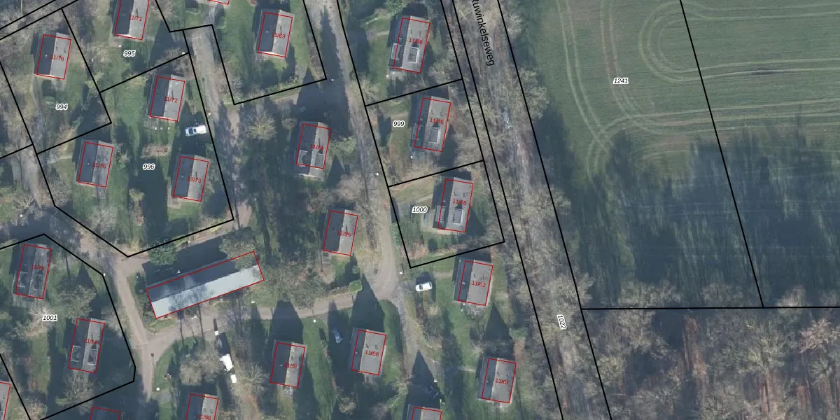
Perceel: SPZ00-C-1000
KadastraleKaart.com kan meer dan je denktOntdek meer ›
Filter op bestemming 50+ datasets Eigendomsdata in één klik Percelen CRM
469 m2 - 87 m
Eigenaar opvragen
SPZ00-C-1000 (Scherpenzeel)
- 3925 MC
TXpyqyPK w1Dt5lu 8SHpb EdZnHUpgrade naar KadastraleKaart Pro
Bekijk op Street View
Download DWG/DXF/Excel
JZi7c3tpUgpUpgrade naar KadastraleKaart Pro
C Ye LfkQ1fmlbkQOUpgrade naar KadastraleKaart Pro
vncWOoZrIYLsVUpgrade naar KadastraleKaart Pro
yBH gP9liKVoHUpgrade naar KadastraleKaart Pro
iQPXx3i504Upgrade naar KadastraleKaart Pro
5mfGNgFftB2RDz6uUpgrade naar KadastraleKaart Pro
n4iccYE4i1GK0g86D5EzEw Upgrade naar KadastraleKaart Pro
CRfX200tltUpgrade naar KadastraleKaart Pro
ibVnR3f3CPUpgrade naar KadastraleKaart Pro
DNZi9XDtUpgrade naar KadastraleKaart Pro
19/09/2002

Percelen
Gebruik de zoekbalk of klik op een perceel om informatie over het perceel te bekijken.