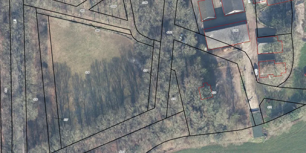
Perceel: SPZ00-D-579
KadastraleKaart.com kan meer dan je denktOntdek meer ›
Filter op bestemming 50+ datasets Eigendomsdata in één klik Percelen CRM
Geen adressen bij dit perceel
128 m2 - 99 m
Eigenaar opvragen
SPZ00-D-579 (Scherpenzeel)
- Geen postcode aanwezig
0MBH XqmSuP5TQaYaBtUpgrade naar KadastraleKaart Pro
Bekijk op Street View
Download DWG/DXF/Excel
GWYwgeCK0AKKiV2mSRWUCUpgrade naar KadastraleKaart Pro
KpwLpRrSFR0r4kFRSUpgrade naar KadastraleKaart Pro
U3HL78AZo7YiV9a 7dvcEUpgrade naar KadastraleKaart Pro
4iaEaxoT93CmzOZUpgrade naar KadastraleKaart Pro
Sh 8PJ1q2u4NA6FW8cF1HBwUpgrade naar KadastraleKaart Pro
HTH SIXnUpgrade naar KadastraleKaart Pro
FkYpOsKe9VINUpgrade naar KadastraleKaart Pro
y J0WQEj82UNMZVt5Upgrade naar KadastraleKaart Pro
PZKstd s0iB KeIUpgrade naar KadastraleKaart Pro
uORVA4FCv6J11BUpgrade naar KadastraleKaart Pro
27/09/2002

Percelen
Gebruik de zoekbalk of klik op een perceel om informatie over het perceel te bekijken.