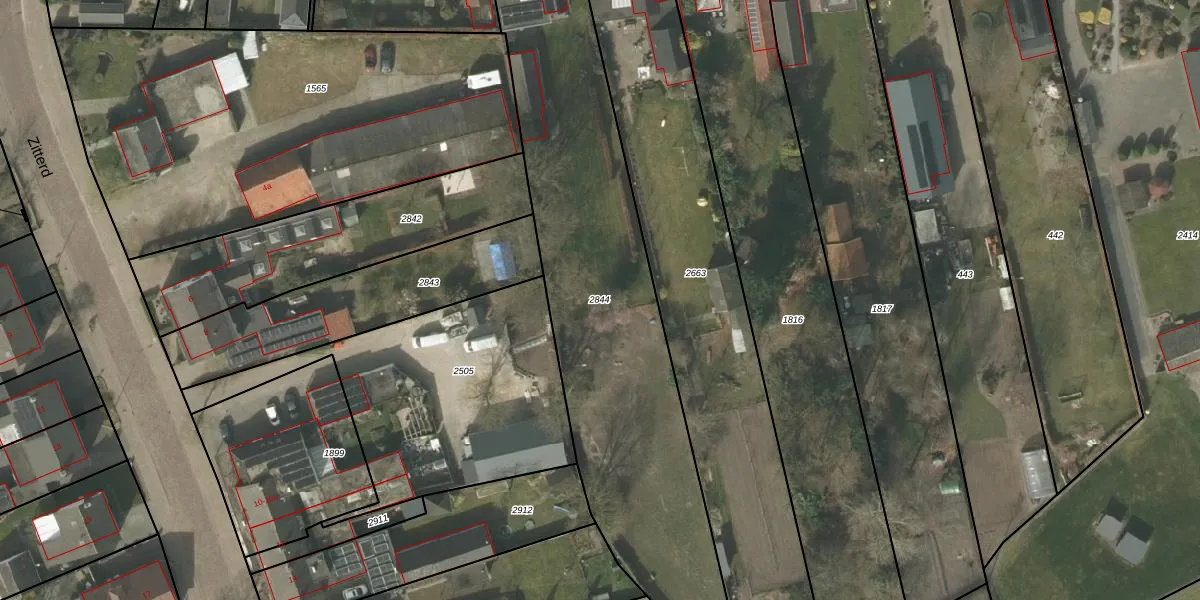
Perceel: SRD00-B-2844
KadastraleKaart.com kan meer dan je denktOntdek meer ›
Filter op bestemming 50+ datasets Eigendomsdata in één klik Percelen CRM
2.250 m2 - 315 m
Eigenaar opvragen
SRD00-B-2844 (Soerendonk)
- 6027 PA
n y3nxfkEogXBt9 cVUpgrade naar KadastraleKaart Pro
Bekijk op Street View
Download DWG/DXF/Excel
m71X1dgt oS2RdFe9 Upgrade naar KadastraleKaart Pro
xPZncL zvI wLFUpgrade naar KadastraleKaart Pro
0qPXO3GcIqoS6oTQ2MD3whUpgrade naar KadastraleKaart Pro
cwlxnkraw5JzrEdQua9wUpgrade naar KadastraleKaart Pro
VvbPqJ8mzElUpgrade naar KadastraleKaart Pro
G wp7SlWiW z WSUpgrade naar KadastraleKaart Pro
gbSEh3JkojQAdQPn35Upgrade naar KadastraleKaart Pro
xD BzP Xr Upgrade naar KadastraleKaart Pro
h1JwSASy4LUpgrade naar KadastraleKaart Pro
ki94ok58HrL7h2jqrQwZbUpgrade naar KadastraleKaart Pro
18/03/2005

Percelen
Gebruik de zoekbalk of klik op een perceel om informatie over het perceel te bekijken.