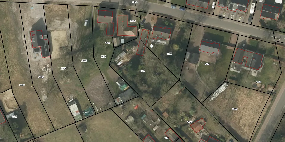
Perceel: SRD00-B-3429
KadastraleKaart.com kan meer dan je denktOntdek meer ›
Filter op bestemming 50+ datasets Eigendomsdata in één klik Percelen CRM
Geen adressen bij dit perceel
1.241 m2 - 141 m
Eigenaar opvragen
SRD00-B-3429 (Soerendonk)
- Geen postcode aanwezig
8T8O9FXmTsRfTOt3gR nK 1Upgrade naar KadastraleKaart Pro
Bekijk op Street View
Download DWG/DXF/Excel
DQZZ0BSQf4Upgrade naar KadastraleKaart Pro
4R8A4meL1Upgrade naar KadastraleKaart Pro
lkIaGh Va 44NEVZRnON2Upgrade naar KadastraleKaart Pro
vhWtEhDobXJyRTTUpgrade naar KadastraleKaart Pro
brYkftx5033V qcUpgrade naar KadastraleKaart Pro
a7qQ8hRlxrnWatmbmAR2AtVUpgrade naar KadastraleKaart Pro
fZ M9LnVUpgrade naar KadastraleKaart Pro
e0xuU7oWaP c1e4Kn8 Upgrade naar KadastraleKaart Pro
hra sCd01HNPJUpgrade naar KadastraleKaart Pro
1Jiby2DfK2xJg r 6kW7Upgrade naar KadastraleKaart Pro
08/10/2021

Percelen
Gebruik de zoekbalk of klik op een perceel om informatie over het perceel te bekijken.