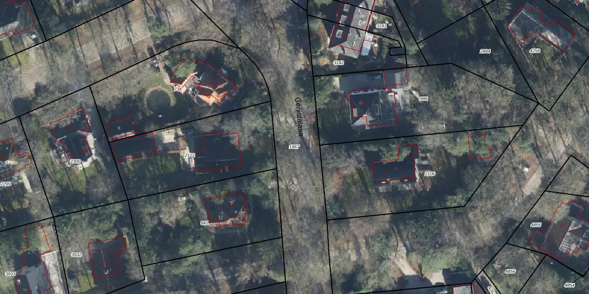
Perceel: SRN00-R-1867
KadastraleKaart.com kan meer dan je denktOntdek meer ›
Filter op bestemming 50+ datasets Eigendomsdata in één klik Percelen CRM
Geen adressen bij dit perceel
5.747 m2 - 749 m
Eigenaar opvragen
SRN00-R-1867 (Hoog Soeren)
- Geen postcode aanwezig
1 66cHrr Z60QhqWw3Upgrade naar KadastraleKaart Pro
Bekijk op Street View
Download DWG/DXF/Excel
gl9GkuRA0 8 G15CUpgrade naar KadastraleKaart Pro
xM1U 1IoeLdE1twWb JUpgrade naar KadastraleKaart Pro
0HY6FGty Upgrade naar KadastraleKaart Pro
S32rRfLMYt43Fn7F a7 cUpgrade naar KadastraleKaart Pro
FDIDQeWpEa9Sr wuczHsUpgrade naar KadastraleKaart Pro
ssSpCd iFLxL8HmxCWXxuSyUpgrade naar KadastraleKaart Pro
PeODYEEFB76nBz J jO1fXUpgrade naar KadastraleKaart Pro
3WPg1J0yQXbCw6e3Wo8dVUpgrade naar KadastraleKaart Pro
FLLR2PJhwbVTqrkQbUpgrade naar KadastraleKaart Pro
e67iEf oBUpgrade naar KadastraleKaart Pro
19/08/2008

Percelen
Gebruik de zoekbalk of klik op een perceel om informatie over het perceel te bekijken.