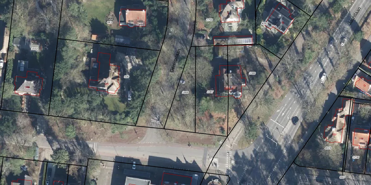
Perceel: SRN00-R-1868
KadastraleKaart.com kan meer dan je denktOntdek meer ›
Filter op bestemming 50+ datasets Eigendomsdata in één klik Percelen CRM
Geen adressen bij dit perceel
458 m2 - 113 m
Eigenaar opvragen
SRN00-R-1868 (Hoog Soeren)
- Geen postcode aanwezig
Cpj7Rk5RhENA ZpsPLCHs tCUpgrade naar KadastraleKaart Pro
Bekijk op Street View
Download DWG/DXF/Excel
uRqor5YRJBQ CUpgrade naar KadastraleKaart Pro
aTETAAHSPL4L8Upgrade naar KadastraleKaart Pro
ZUbJW8Bf0wVHZnNwK16fxUpgrade naar KadastraleKaart Pro
o riwUOW iywCUpgrade naar KadastraleKaart Pro
88V93 2NIOLBRh2iVUpgrade naar KadastraleKaart Pro
I651v1jKq OsBg63SsS5Upgrade naar KadastraleKaart Pro
6ir 4Xv3hf5qVRUpgrade naar KadastraleKaart Pro
J Mu 4ONZUpgrade naar KadastraleKaart Pro
cncVOjHL2Upgrade naar KadastraleKaart Pro
8EJ1Bdiwct1a FcSJdUpgrade naar KadastraleKaart Pro
04/03/1999

Percelen
Gebruik de zoekbalk of klik op een perceel om informatie over het perceel te bekijken.