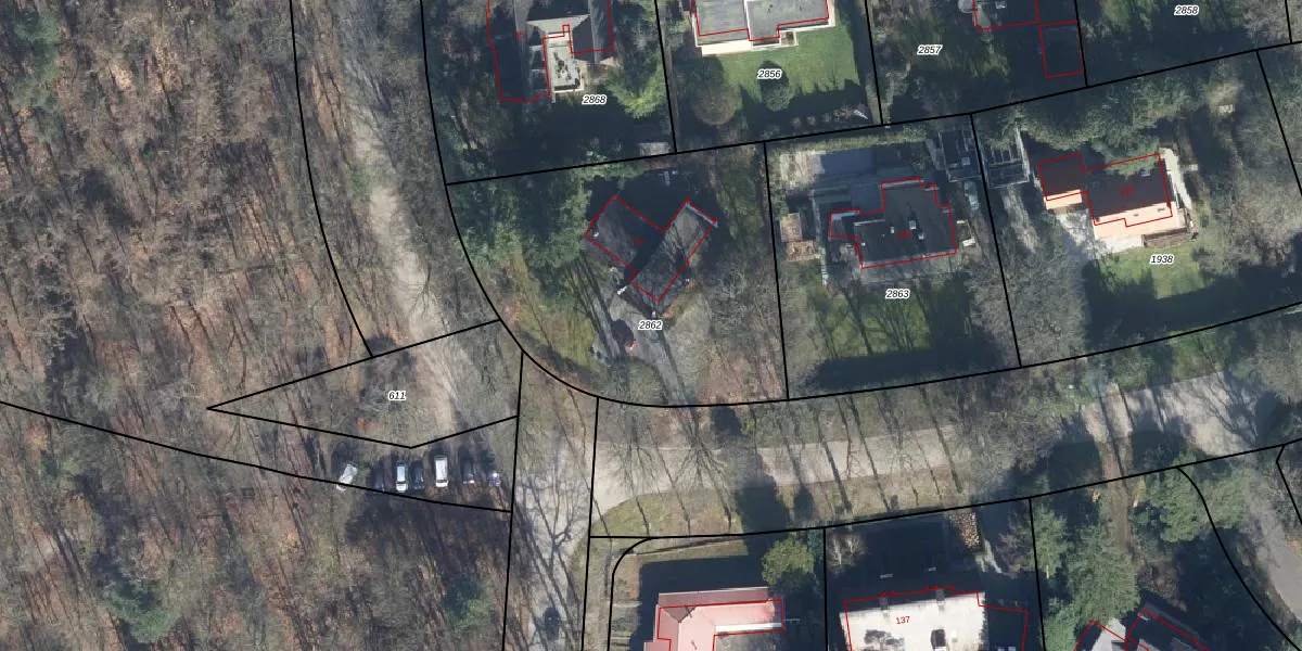
Perceel: SRN00-R-2862
KadastraleKaart.com kan meer dan je denktOntdek meer ›
Filter op bestemming 50+ datasets Eigendomsdata in één klik Percelen CRM
1.620 m2 - 161 m
Eigenaar opvragen
SRN00-R-2862 (Hoog Soeren)
- 7313 BW
bvE MLmFPo A aLKByRhY7Upgrade naar KadastraleKaart Pro
Verkoopprijs opvragen
Bekijk op Street View
Download DWG/DXF/Excel
OH j76kWUpgrade naar KadastraleKaart Pro
odOVQQ jm0dtUpgrade naar KadastraleKaart Pro
D8 YjnDDYI19Q Z5gyA5uUpgrade naar KadastraleKaart Pro
0yRc ABX8 m4d0Upgrade naar KadastraleKaart Pro
LHJ66SlrHoUpgrade naar KadastraleKaart Pro
Fp eyXxkz60Zm469nnhS8Upgrade naar KadastraleKaart Pro
9V7G zKY 12EOAejr Upgrade naar KadastraleKaart Pro
eZ11h1k bQHhUpgrade naar KadastraleKaart Pro
iXxGUAYOqAKUpgrade naar KadastraleKaart Pro
IM9Qwx4xTUpgrade naar KadastraleKaart Pro
16/08/1999

Percelen
Gebruik de zoekbalk of klik op een perceel om informatie over het perceel te bekijken.