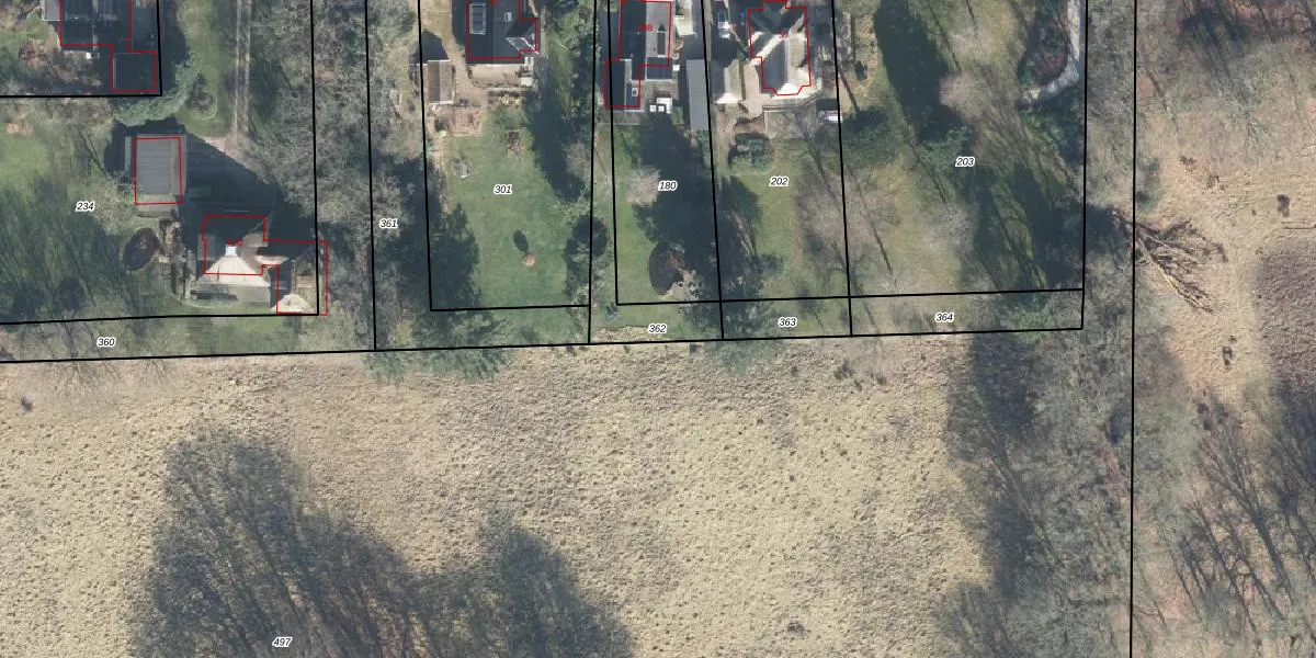
Perceel: SRN00-T-362
KadastraleKaart.com kan meer dan je denktOntdek meer ›
Filter op bestemming 50+ datasets Eigendomsdata in één klik Percelen CRM
Geen adressen bij dit perceel
270 m2 - 158 m
Eigenaar opvragen
SRN00-T-362 (Hoog Soeren)
- Geen postcode aanwezig
5 xaG HNKVBM6wB07ToeF OknsuOZiXUpgrade naar KadastraleKaart Pro
Bekijk op Street View
Download DWG/DXF/Excel
JqQMCzBn7YIcuiUZtu0Upgrade naar KadastraleKaart Pro
fPZsTaEXkhm00n 7MC21Upgrade naar KadastraleKaart Pro
Yts nHvYGmUpgrade naar KadastraleKaart Pro
2r88pq5DUpgrade naar KadastraleKaart Pro
ZbcXkV Rg VNrmUvVBKUpgrade naar KadastraleKaart Pro
5rEhQ9XUi9GBd7yb1Upgrade naar KadastraleKaart Pro
iWWGmXSGTLz8X9rg7KXYzUpgrade naar KadastraleKaart Pro
zGswZyAvoPW5woiZVUpgrade naar KadastraleKaart Pro
A pRAnZtH4k6cUpgrade naar KadastraleKaart Pro
I4 0dQb6TZFQvUpgrade naar KadastraleKaart Pro
16/08/2001

Percelen
Gebruik de zoekbalk of klik op een perceel om informatie over het perceel te bekijken.