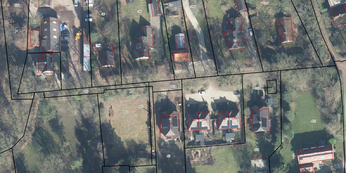
Perceel: SRN00-T-651
KadastraleKaart.com kan meer dan je denktOntdek meer ›
Filter op bestemming 50+ datasets Eigendomsdata in één klik Percelen CRM
Geen adressen bij dit perceel
116 m2 - 50 m
Eigenaar opvragen
SRN00-T-651 (Hoog Soeren)
- Geen postcode aanwezig
HwX gnI1rsjKOlFaKUpgrade naar KadastraleKaart Pro
Bekijk op Street View
Download DWG/DXF/Excel
zYn BF0z2F IRbmGGZXQwUpgrade naar KadastraleKaart Pro
aMTKBcJEyUpgrade naar KadastraleKaart Pro
Ap5AgW62 dhmmVV2B6BnURUpgrade naar KadastraleKaart Pro
MaTFzLke4o1Fz9thEVvUpgrade naar KadastraleKaart Pro
MrgLoA2mYTyzdOaUpgrade naar KadastraleKaart Pro
tD5z2Ve9SPhUpgrade naar KadastraleKaart Pro
ExrP GybLrjc7oQhJUpgrade naar KadastraleKaart Pro
Vb CluN3dOtPq3Upgrade naar KadastraleKaart Pro
GnQ vsPPPu56pUpgrade naar KadastraleKaart Pro
CJ1xCDrO6bA4gR frUpgrade naar KadastraleKaart Pro
13/07/2023

Percelen
Gebruik de zoekbalk of klik op een perceel om informatie over het perceel te bekijken.