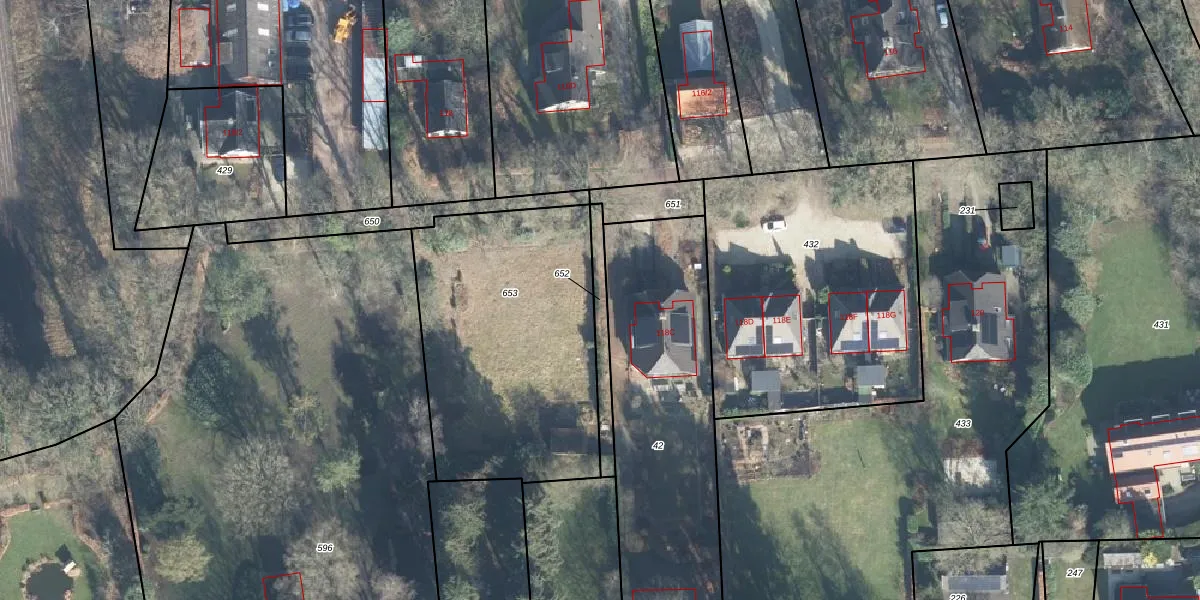
Perceel: SRN00-T-652
KadastraleKaart.com kan meer dan je denktOntdek meer ›
Filter op bestemming 50+ datasets Eigendomsdata in één klik Percelen CRM
Geen adressen bij dit perceel
103 m2 - 96 m
Eigenaar opvragen
SRN00-T-652 (Hoog Soeren)
- Geen postcode aanwezig
IU l6z cD 92eQwxVatkDpphBeFnPUpgrade naar KadastraleKaart Pro
Bekijk op Street View
Download DWG/DXF/Excel
YazsOLiHdbUpgrade naar KadastraleKaart Pro
4VP8venqWcSCUpgrade naar KadastraleKaart Pro
7zXE8qAQT2ezFUpgrade naar KadastraleKaart Pro
VczC0 ZDnUpgrade naar KadastraleKaart Pro
ftQos7lL6HhYoFm8zAUi3A8Upgrade naar KadastraleKaart Pro
rk1 QC7uxNjfFUpgrade naar KadastraleKaart Pro
WpCmWpPVptqb0W6yKKUpgrade naar KadastraleKaart Pro
sUFxW56xLfjXUpgrade naar KadastraleKaart Pro
7 K 7ioxEDhf2zCfMnevLkWUpgrade naar KadastraleKaart Pro
2rHkdYD lfALxS6yUpgrade naar KadastraleKaart Pro
13/07/2023

Percelen
Gebruik de zoekbalk of klik op een perceel om informatie over het perceel te bekijken.