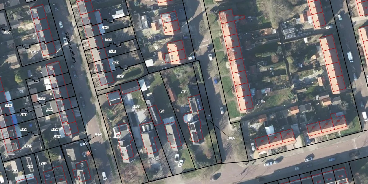
Perceel: SRN00-W-461
KadastraleKaart.com kan meer dan je denktOntdek meer ›
Filter op bestemming 50+ datasets Eigendomsdata in één klik Percelen CRM
900 m2 - 145 m
Eigenaar opvragen
SRN00-W-461 (Hoog Soeren)
- 7312 PL
hRjDl7jDasop vQYpdF2V TUpgrade naar KadastraleKaart Pro
Verkoopprijs opvragen
Bekijk op Street View
Download DWG/DXF/Excel
F6Q0Yo vHwKYIUpgrade naar KadastraleKaart Pro
SeyvNoNvmQIUNmRjiAxMeUpgrade naar KadastraleKaart Pro
d 7x8lfr5KFHuADVKxUpgrade naar KadastraleKaart Pro
0v As0c5AWvUpgrade naar KadastraleKaart Pro
U dVHpGNXUpgrade naar KadastraleKaart Pro
DtkvtFSMUpgrade naar KadastraleKaart Pro
nQN9ev9w4uwUpgrade naar KadastraleKaart Pro
VH2TVcKu2KN 83Upgrade naar KadastraleKaart Pro
d5XMBrDUJreUpgrade naar KadastraleKaart Pro
HDew5 JHjc8LnNaf5AFomUpgrade naar KadastraleKaart Pro
13/11/2000

Percelen
Gebruik de zoekbalk of klik op een perceel om informatie over het perceel te bekijken.