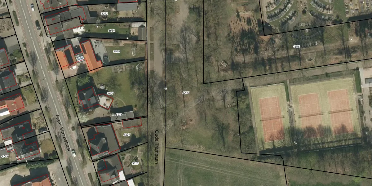
Perceel: SRY00-B-1205
KadastraleKaart.com kan meer dan je denktOntdek meer ›
Filter op bestemming 50+ datasets Eigendomsdata in één klik Percelen CRM
Geen adressen bij dit perceel
3.048 m2 - 356 m
Eigenaar opvragen
SRY00-B-1205 (Stramproy)
- Geen postcode aanwezig
Jb dW wiHf r3PwYzc Upgrade naar KadastraleKaart Pro
Bekijk op Street View
Download DWG/DXF/Excel
b7 be6hYHYcYji1OI3K Uf3Upgrade naar KadastraleKaart Pro
1RdC9BuU6CIsA3w2axiBUpgrade naar KadastraleKaart Pro
6qc VTs3FwPs8Upgrade naar KadastraleKaart Pro
IyySSkZEUpgrade naar KadastraleKaart Pro
e4kKmKIh2MCw 9oJl02Upgrade naar KadastraleKaart Pro
juy Mm AiVMxJHwEfSAUpgrade naar KadastraleKaart Pro
93xV8Z8Y6qR SBknrRFwPUpgrade naar KadastraleKaart Pro
Enxz4H3Kju Upgrade naar KadastraleKaart Pro
wScT MuQUpgrade naar KadastraleKaart Pro
jzx29W2Wv1OxUpgrade naar KadastraleKaart Pro
22/06/2009

Percelen
Gebruik de zoekbalk of klik op een perceel om informatie over het perceel te bekijken.